dpa Berlin. Das große Silvester-Knallen könnte dieses Jahr ausfallen - zumindest in den SPD-geführten Bundesländern. Die Gründe für die Absagen... mehr...
dpa Berlin. Das große Silvester-Knallen könnte dieses Jahr ausfallen - zumindest in den SPD-geführten Bundesländern. Die Gründe für die Absagen... mehr...
dpa London. Die Tennis-Saison ist beendet, Daniil Medwedew heißt der letzte Sieger des Jahres 2020. Nun begleitet eine große Unsicherheit die... mehr...
dpa Köln. Beim 1. FC Köln ist Krise statt Karneval: 18 Spiele warten die Kölner in der Fußball-Bundesliga auf einen Sieg. Der 1. FC Union Berlin... mehr...
dpa Minsk. Mit immer neuer Gewalt reagiert der Apparat von Machthaber Lukaschenko in Belarus auf die Proteste der Demokratiebewegung. Viele... mehr...
dpa Wisla. Was für ein Auftakt! Mit Platz eins und zwei starten die deutschen Skispringer in einen ganz speziellen Winter. Markus Eisenbichler... mehr...
dpa Berlin. Die Luftverkehrsbranche ächzt unter den Folgen der Corona-Krise. Bei einem „Gipfel“ Anfang November konnte der Verkehrsminister noch... mehr...
dpa Freiburg. Der 1. FSV Mainz 05 hat in der Fußball-Bundesliga den ersten Saison-Sieg geschafft. Der Franzose Jean-Philippe Mateta erzielte am... mehr...
dpa Freiburg. Jean-Philippe Mateta wird für Mainz 05 immer wertvoller. Mit seinen Saisontoren Nummer 5 bis 7 sichert der frühere französische Junioren-Nationalspieler... mehr...
dpa Berlin. Die Pandemie ist noch lange nicht vorbei. Die Bundesregierung will noch einmal in die Vollen greifen, vor allem um die Folgen der... mehr...
ASPACH. mehr...
dpa/lsw Fröhnd. Nach dem Eklat beim ersten Wahlgang hat die rund 500 Einwohner zählende Gemeinde Fröhnd der Bürgermeisterin am Sonntag endgültig... mehr...
dpa/lsw Stuttgart. Die Zahl der bestätigten Corona-Infektionen ist in Baden-Württemberg um 1569 gestiegen. Seit Beginn der Pandemie sind damit 133 573... mehr...
dpa Berlin. Im Vorstand vieler deutscher Firmen sitzt keine einzige Frau. Das will die Koalition nach langem Ringen bei großen Unternehmen ändern... mehr...
dpa Berlin. Baden-Württembergs Ministerpräsident Winfried Kretschmann hat seine Partei gemahnt, im Kampf um Klimaschutz nicht die Notwendigkeit... mehr...
dpa/lsw Halle. Der Landesmusikrat Sachsen-Anhalt hat ein neues Präsidium. Die gebürtige Mannheimerin Jutta Schnitzer-Ungefug ist neue Präsidentin,... mehr...
dpa/lsw Crailsheim. Ein 51 Jahre alter Autofahrer ist bei einem Verkehrsunfall in Crailsheim (Kreis Schwäbisch Hall) ums Leben gekommen. Wie die Polizei... mehr...
dpa Düsseldorf. Hinter dem erstmals in dieser Saison geschlagenen Hamburger SV zieht sich das Verfolgerfeld in der 2. Fußball-Bundesliga zusammen... mehr...
dpa London. Nicht nur die Corona-Pandemie, sondern auch der Brexit macht vielen britischen Unternehmen zu schaffen. Positive Aussichten gibt... mehr...
dpa/lsw Stuttgart. Am Wochenende haben in mehreren Städten Baden-Württembergs wieder Menschen gegen die Corona-Politik demonstriert. Eine Demonstration... mehr...
dpa Heidelberg/Mannheim. Der Film „My Mexican Bretzel“ ist mit dem Hauptpreis des Internationalen Filmfestival Mannheim-Heidelberg ausgezeichnet worden. Das... mehr...
MURRHARDT mehr...
dpa Berlin. Sehnlichst wartet Deutschland darauf, dass sich die Corona-Lage entspannt. Aber trotz Teil-Lockdowns bleiben die Ansteckungszahlen... mehr...
dpa Brüssel. Das Internet kann viel Leid anrichten - etwa wenn Fotos und Videos missbrauchter Kinder verbreitet werden. Im Kampf dagegen bekommen... mehr...
dpa/lsw Wolpertshausen. Anwohner haben im Kreis Schwäbisch Hall einen toten 20-Jährigen gefunden, der wahrscheinlich erfroren ist. Das ergaben erste Ermittlungen... mehr...
dpa/lsw Heidelberg. Ein Autokorso mit Kritikern der Corona-Politik hat am Samstag in Heidelberg den Verkehr lahmgelegt. Nach Polizeiangaben vom Sonntag... mehr...
dpa/lsw Sinsheim. Schüsse aus einem Hochzeitskorso haben in Sinsheim (Rhein-Neckar-Kreis) am Samstag die Polizei auf den Plan gerufen. Mit drei Streifenwagen... mehr...
dpa München. Die Bayern sind „verärgert“. Zwar betreibt Manuel Neuer vier Tage nach dem DFB-Debakel mit Glanzparaden Frustabbau, für den Sieg... mehr...
dpa Berlin. Zwei Monate hatte Joachim Löw 2018 Zeit, das historische WM-Debakel zu analysieren. Nach der höchsten Niederlage seiner Amtszeit... mehr...
dpa Washington/Moskau/Brüssel. Militärische Beobachtungsflüge zwischen Nato-Staaten und Russland gelten seit Ende des Kalten Krieges als wichtige vertrauensbildende... mehr...
dpa Sinsheim. Fußball-Bundesligist VfB Stuttgart muss auf Stürmer Nicolás González etwa zwei bis drei Wochen verzichten und damit doch nicht so... mehr...
dpa Gelsenkirchen. Der FC Schalke verliert weiter und nähert sich immer mehr dem Liga-Negativrekord von Tasmania Berlin. 31 Spiele blieben die Berliner... mehr...
dpa/lsw Breisach am Rhein. Hochseilartist Falko Traber (61) will mit einem leuchtenden Stern hoch über seiner Heimat Breisach am Rhein (Kreis Breisgau-Hochschwarzwald)... mehr...
dpa Oldenburg. Seit mehr als 13 Jahren spielt der Amerikaner Rickey Paulding in der Basketball-Bundesliga für die EWE Baskets Oldenburg. Am Samstagabend... mehr...
dpa Mönchengladbach. Noch vor einigen Wochen konnte Gladbach-Coach Rose mit dem Problem der späten Gegentore wenig anfangen. Nach dem unnötigen 1:1 gegen... mehr...
dpa Berlin/Tutzing. Die Aufenthalte des thailändischen Königs in Bayern sorgen seit Monaten für Aufregung. Außenminister Maas hat dem Monarchen für den... mehr...
dpa/lsw Heidelberg. Ein betrunkener Radfahrer ist in Heidelberg gegen einen Streifenwagen gefahren. Wegen eines Einsatzes hatten die Beamten das Fahrzeug... mehr...
dpa/lsw Stuttgart. Die Bundesliga-Volleyballerinnen von Allianz MTV Stuttgart und ihr Trainer Giannis Athanasopoulos haben sich nach dem überraschenden... mehr...
dpa Hamburg. Für den Hip-Hopper Smudo von den Fantastischen Vier hat die Corona-Krise auch was Gutes. Weil er weniger unterwegs war, hat er beispielsweise... mehr...
dpa/lsw Frankfurt/Main/Stuttgart. Bei einem schweren Unfall in Frankfurt kommt der Fahrer eines Sportgeländewagens von der Straße ab prallt gegen eine Hauswand. Zwei... mehr...
dpa/lsw Zell unter Aichelberg. Wegen Verstoßes gegen die Corona-Regeln hat die Polizei in Zell unter Aichelberg eine Party mit etwa 30 Gästen aufgelöst. Sie hätten... mehr...
dpa Flensburg. Hamburg, Baden-Württemberg und Berlin haben in Deutschland die höchsten Anteile an Elektroautos und Plug-in-Hybriden. Zum 1. Oktober... mehr...
dpa/lsw Mannheim. Bei einem Brand in einem Mehrfamilienhaus in Mannheim sind vier Menschen verletzt worden. Einer von ihnen erlitt Verbrennungen an... mehr...
dpa/lsw Stuttgart. Irgendwo auf dem Land mit dem Auto zu verunglücken und lange auf den Notarzt warten zu müssen - das ist ein Alptraum. Solch schlimme... mehr...
dpa Berlin. In Syrien und anderen schwer zugänglichen Konfliktgebieten hilft die Organisation Islamic Relief. Die Bundesregierung will ihre Projekte... mehr...
dpa/lsw Stuttgart. Nach den Angriffen eines 33-Jährigen auf fünf Menschen in einem Stuttgarter Mehrfamilienhaus sind die Hintergründe der Tat weiter... mehr...
dpa Sinsheim/Mainz. Sportchef Alexander Rosen von der TSG 1899 Hoffenheim hat sich dafür ausgesprochen, in der Corona-Krise wieder Europacup-Spiele an... mehr...
dpa Guatemala-Stadt. Im Eilverfahren haben die Abgeordneten das Budget fürs nächste Jahr durchgepeitscht. Der Haushalt trifft in dem mittelamerikanischen... mehr...
dpa Berlin. Die SPD-Chefin Saskia Esken fordert, nicht nur die rechtspopultische Partei AfD näher unter die Lupe zu nehmen, sondern auch ihre... mehr...
dpa Köln. Die Corona-Krise macht auch der Fastfood-Kette Subway mächtig zu schaffen. Die Deutschlandtochter des US-Konzerns rechnet mit sinkenden... mehr...
dpa Berlin. Ein ehemaliger Weltmeister macht sich für ein Comeback einiger Ex-Kollegen in der Nationalmannschaft stark. Per Mertesacker würde... mehr...
dpa London. Die Top Vier der Tennis-Weltrangliste standen im Halbfinale der ATP Finals in London. Die beiden jüngeren Dominic Thiem (27) und... mehr...
dpa Berlin. Die zweite Corona-Welle ist deutlich schlimmer als die im Frühjahr. Eigentlich sollten die derzeitigen Beschränkungen Ende November... mehr...
dpa Berlin. Youssoufa Moukoko steht als jüngster Bundesliga-Spieler in den Fußball-Geschichtsbüchern. Beim Debüt des Dortmunder Wunderknaben... mehr...
dpa Berlin. Die Frustbewältigung der deutschen Nationalspieler nach der 0:6-Pleite gegen Spanien fiel bescheiden aus. Von den vier Champions-League-Clubs... mehr...
dpa Riad. Das Corona-Virus hat fast alle Länder dieser Welt erwischt. Die reichsten und mächtigsten Staaten bekennen sich beim G20-Gipfel dazu,... mehr...
dpa Wisla. Der Wintersport ist gestartet, allerdings mit einem übersichtlichen Programm. mehr...
dpa Berlin/Leipzig. Der Widerstand gegen die Corona-Einschränkungen treibt weiter viele Menschen auf die Straße, aber auch Gegendemonstranten machen... mehr...
dpa Frankfurt/Main. Der Fahrer eines Sportgeländewagens kommt von der Straße ab, sein Auto erfasst Menschen auf dem Bürgersteig. Zwei von ihnen sterben... mehr...
dpa Enstone. Fernando Alonso will bei seinem Formel-1-Comeback einfach keine Zeit verlieren. Der zweimalige Weltmeister bereitet sich bereits... mehr...
dpa/lsw Freiburg. Fußball-Bundesligist SC Freiburg hofft im Kellerduell mit dem 1. FSV Mainz 05 heute (15.30 Uhr/Sky) auf den ersten Heimsieg der Saison... mehr...
dpa Washington. Donald Trump wollte Millionen Stimmen für ungültig erklären lassen. Der Grund: angeblicher „massiver Wahlbetrug“. Doch der US-Präsident... mehr...
dpa/lsw Fröhnd. Obwohl einzige Kandidatin erlitt Amtsinhaberin Tanja Steinebrunner bei der Bürgermeisterwahl Anfang November einen Dämpfer - am Sonntag... mehr...
dpa Berlin. 16 Jahre und ein Tag: Kein Fußballer war bei seinem ersten Bundesliga-Spiel jünger als Youssoufa Moukoko. In Berlin feiert der Angreifer... mehr...
dpa Frankfurt/Main. Ein Sportgeländewagen kommt in Frankfurt von der Straße ab und prallt gegen eine Hauswand. Mit verheerenden Folgen. Erinnerungen... mehr...
dpa/lsw Stuttgart. Die Zahl der bestätigten Corona-Infektionen ist in Baden-Württemberg um 2112 gestiegen. Seit Beginn der Pandemie sind damit 132 004... mehr...
dpa Wiesbaden. 430 000 Euro für ein historisches Schreiben: Zu diesem Preis ist am Samstag ein Brief mit den ersten Briefmarken der Stadt Lübeck... mehr...
dpa Sinsheim. Der VfB Stuttgart muss länger auf seinen argentinischen Angreifer Nicolás González verzichten. Der 22-Jährige zog sich beim 3:3 (2:1)... mehr...
dpa London. Dominic Thiem hätte das Halbfinale der ATP Finals eigentlich schon im zweiten Satz gewinnen können, vergab aber mehrere Matchbälle... mehr...
dpa Wisla. Leere Ränge, Masken und ein weißer Teppich im Grünen: Für die Skispringer ist der Auftakt in Wisla ungewöhnlich. Dem deutschen Team... mehr...
dpa Berlin. Der FC Bayern zeigt kaum für möglich gehaltene Schwächen. Gegen Werder, den Fast-Absteiger der Vorsaison, gibt es nur ein 1:1. Dadurch... mehr...
dpa Berlin. Der Insolvenzverwalter hatte die Wirtschaftsprüfer der Beratungsgesellschaft EY von ihrer Verschwiegenheitspflicht entbunden. Aussage... mehr...
dpa/lsw Zwickau. Fußball-Drittligist SV Waldhof Mannheim ist beim FSV Zwickau nicht über ein 0:0 hinausgekommen. Damit verpasste das Team einen Sprung... mehr...
dpa Friedrichshafen. Der VfB Friedrichshafen hat das Topspiel der Volleyball-Bundesliga gegen die Berlin Volleys am Samstag klar mit 3:0 (26:24, 25:20,... mehr...
dpa Kassel. Lange hatte der große Deutsche Schwimm-Verband keinen Präsidenten. Bei der online durchgeführten Mitgliederversammlung wird nach... mehr...
dpa Washington. Trump spricht weiter von „massivem Wahlbetrug“ und wehrt sich gegen seine Niederlage. In wichtigen Bundesstaaten muss er Rückschläge... mehr...
dpa Kiel. Holstein Kiel hat den Sprung auf den zweiten Tabellenplatz der 2. Fußball-Bundesliga verpasst. Die Schleswig-Holsteiner trennten... mehr...
dpa/lsw Düsseldorf. Der SV Sandhausen bleibt in dieser Saison der 2. Fußball-Bundesliga auswärts ohne Punkt. Bei Fortuna Düsseldorf verlor der SVS am... mehr...
dpa Braunschweig. Der Karlsruher SC hat gegen Eintracht Braunschweig gewonnen und die Niedersachsen in der Tabelle der 2. Bundesliga überholt. Die... mehr...
dpa Sinsheim. Der Blick auf die Tabelle ist bei der TSG Hoffenheim nach den zahlreichen Corona-Fällen erst einmal nebensächlich. „Ich freue mich... mehr...
dpa Sinsheim. Hoffenheim ist so etwas wie der Corona-Hotspot der Bundesliga. Im Baden-Würtemberg-Duell gegen den VfB Stuttgart aber kämpfen die... mehr...
dpa Düsseldorf. Eigentlich sieht Holstein Kiel schon wie der Sieger aus, doch in einer turbulenten Schlussphase fällt der Ausgleich. Statt Kiel erobert... mehr...
dpa München. Der FC Bayern München muss im Heimspiel gegen Werder Bremen auf Niklas Süle und Bouna Sarr verzichten. Die beiden Defensivspieler... mehr...
dpa Levi. 300 Tage ist Mikaela Shiffrin kein Skirennen mehr gefahren. Beim Comeback wird sie Zweite hinter ihrer Dauerrivalin. Viel wichtiger... mehr...
dpa/lsw Göppingen/Pforzheim. In Göppingen und Pforzheim haben Hunderte Menschen am Samstag gegen die Corona-Politik demonstriert. Es habe einzelne Verstöße gegen... mehr...
dpa Monte Carlo. Kevin Volland ist sportlich endlich angekommen in Monaco: Mit einem Doppelpack gegen Paris ist er der Mann des Abends. Auch Trainer... mehr...
dpa/lsw Mannheim/Heidelberg. Die Polizei hat in Mannheim und Heidelberg gleich mehrere Partys aufgelöst und mehrere Menschen wegen Verstoßes gegen die Corona-Regeln... mehr...
dpa Moskau. Das im August 2014 erstmals verhängte Einfuhrverbot etwa für Milchprodukte, Fleisch, Obst und Gemüse aus der EU geht weiter. Die... mehr...
dpa Nürnberg. Schüsse fallen, eine Frau liegt tot auf der Straße, ein toter Mann im Taxi daneben. Die Polizei fasst einen Tatverdächtigen und sieht... mehr...
dpa Freiburg. In diesem Winter droht in Afghanistan nach Angaben der Hilfsorganisation Caritas auch wegen der Corona-Pandemie eine Hungerkatastrophe... mehr...
dpa/lsw Ulm. Schon bald sollen im ganzen Land Zentren zur Impfung gegen das Coronavirus entstehen. In Ulm testet das Rote Kreuz zum ersten Mal... mehr...
dpa Bremen. Werder Bremens Aufsichtsratsboss Marco Bode hat sich für Veränderungen im Fußball ausgesprochen und konkrete Ziele von Reformen ... mehr...
dpa Beirut. Aus einem Gefängnis in der libanesischen Hauptstadt ist Häftlingen die Flucht gelungen. Doch für einige von ihnen endete der Ausbruch... mehr...
dpa Baltimore. Keine Corona-Trendwende in den USA in Sicht. Die Behörden melden innerhalb von 24 Stunden 195.542 Fälle - ein neuer Höchststand. mehr...
dpa Freiburg. Vincenzo Grifo zählt zu den Schlüsselspielern des SC Freiburg. Doch auch mit ihm spielen die Breisgauer bislang eine mäßige Saison... mehr...
dpa Berlin. Der Chef der Techniker Krankenkasse, Jens Baas, fordert in der Corona-Krise ein Gegensteuern durch den Staat - ansonsten drohe eine... mehr...
dpa Oftersheim. Weitsprung-Weltmeisterin Malaika Mihambo strebt bei den Olympischen Spielen 2021 in Tokio einen Start über 100 Meter an. mehr...
dpa/lsw Mannheim. Bei dem Versuch einen 17 Jahre alten Ladendieb in Mannheim festzunehmen, sind zwei Polizisten verletzt worden. Der Jugendliche schlug... mehr...
dpa Sigulda. Francesco Friedrich und Mariama Jamanka haben den Weltcup-Auftakt in Sigulda gewonnen. Bei enorm schnellen Bahnbedingungen kommen... mehr...
dpa/lsw Freiburg. Stürmer Nils Petersen vom Bundesligisten SC Freiburg sieht die Stimmung rund um den Profifußball in Zeiten der Corona-Krise mit Sorge... mehr...
dpa Oftersheim. Weitsprung-Weltmeisterin Malaika Mihambo strebt bei den Olympischen Spielen 2021 in Tokio einen Start über 100 Meter an. „Ja, für... mehr...
dpa/lsw Mannheim. Bei einem Brand in einem Mehrfamilienhaus in Mannheim ist ein hoher Sachschaden entstanden. Die Feuerwehr brachte 14 Menschen in Sicherheit,... mehr...
dpa/lsw Heidelberg. Jahrelang schwelt der Streit um nächtlichen Lärm von Partygängern in der Heidelberger Altstadt. Gebraucht wird ein Nachtbürgermeister,... mehr...
dpa Karlsruhe. Wie weiter mit der Schule in Corona-Zeiten? Das ist eine der Fragen, denen sich Kanzlerin und Ministerpräsidenten kommende Woche... mehr...
dpa/lsw Stuttgart. Erste Standorte für die von der grün-schwarzen Landesregierung geplanten großen Corona-Impfzentren in Baden-Württemberg sind bekannt... mehr...
dpa/lsw Stuttgart. Muss ein Student einen Frosch sezieren, um ein guter Biologe werden zu können? Nein, meinen die Grünen - und wollen Tierversuche... mehr...
dpa Kabul. Trotz Friedensgesprächen geht der Konflikt in Afghanistan weiter. Der Vizepräsident wollte persönlich für Sicherheit in der Hauptstadt... mehr...
dpa/lsw Bad Waldsee. Experten warnen davor, Pedelec-Akkus in der Wohnung zu laden - trotzdem komme das immer wieder vor. „Viele sehen die Gefahr nicht... mehr...
dpa Leipzig. Zwei Wochen nach der chaotischen „Querdenken“-Demo sind wieder Gegner der Corona-Maßnahmen in Leipzig. Als deren Kundgebung kurzfristig... mehr...
dpa Berlin. Im Januar soll der neue CDU-Vorsitzende gewählt werden - Friedrich Merz, Armin Laschet und Norbert Röttgen wollen die Nachfolge von... mehr...
dpa Frankfurt/Main. Zu Beginn der Corona-Pandemie war die Zahl der Sonderangebote spürbar zurückgegangen. Doch inzwischen haben Werbeaktionen ein stürmisches... mehr...
dpa Berlin/Erfurt. Der Chef der Innenministerkonferenz hält ein Verbot der AfD in der Zukunft für denkbar. Deren Thüringer Landesverband wählt Höcke,... mehr...
dpa Washington. Die US-Regierung will Nord Stream 2 kurz vor Fertigstellung unbedingt verhindern und erhöht den Druck auf deutsche Unternehmen. In... mehr...
dpa Berlin. Die Schulen bleiben in der zweiten Corona-Welle offen - darauf haben die Kultusminister stets gepocht. Doch der Teil-Lockdown wirkt... mehr...
dpa Riad/Berlin. Das Treffen der führenden Wirtschaftsnationen steht im Schatten der Pandemie. Gegen die globale Krise gehen sie bisher vor allem... mehr...
dpa London. Statt bei den ATP Finals um den Titel zu spielen, endet die Saison für Alexander Zverev mit einer Niederlage im letzten Gruppenspiel... mehr...
dpa Berlin. Ein „Alter“ kann in München eine Bestmarke aufstellen, ein ganz Neuer für Borussia Dortmund erstmals in der Fußball-Bundesliga auflaufen:... mehr...
dpa Wisla. Der Wintersport steht vor seinem ersten ereignisreichen Wochenende. mehr...
dpa Berlin. Vor den anstehenden Beratungen zu den Corona-Maßnahmen für Dezember deutet sich noch keine klare Linie an. Fest steht bisher nur:... mehr...
dpa/lsw Sinsheim. Nach drei Unentschieden in Serie will der VfB Stuttgart im Baden-Württemberg-Duell bei der TSG 1899 Hoffenheim am Samstag (15.30... mehr...
dpa Berlin. Parteitags-Feeling mit Stimmengewirr, hitzigen Debatten und Jubel kam bei den Grünen nicht auf. Beschlüsse fassten die mehr als 800... mehr...
dpa/lsw Karlsruhe. Beflügelt von seinem jüngsten 3:0-Sieg beim FC St. Pauli will der Karlsruher SC am Samstag (13.00 Uhr/Sky) bei Eintracht Braunschweig... mehr...
dpa/lsw Sinsheim. Die TSG 1899 Hoffenheim muss im Baden-Württemberg-Duell mit dem VfB Stuttgart am Samstag (15.30 Uhr/Sky) mit einem Rumpfteam antreten... mehr...
dpa/lsw Ötisheim. Eine 17 Jahre alte Rollerfahrerin ist am Freitag bei einem Unfall zwischen Mühlacker und Ötisheim (Landkreis Enzkreis) schwer verletzt... mehr...
dpa Berlin. In knapp zwei Wochen soll Oliver Bierhoff die Krisenanalyse von Joachim Löw vorstellen. Einen „Freifahrtschein“ soll es für den Bundestrainer... mehr...
dpa Stuttgart/Tübingen. Im Streit um eine Liste mit auffällig gewordenen Asylbewerbern bekommt Tübingens Oberbürgermeister Boris Palmer (Grüne) Unterstützung... mehr...
dpa/lsw Stuttgart. Die baden-württembergische FDP hat bei ihrer Auftaktveranstaltung für den Landtagswahlkampf den eigenen Anspruch untermauert, Teil... mehr...
BACKNANG. mehr...
dpa Nürnberg. Der Bundespräsident würdigt die Bedeutung der Nürnberger Prozesse gegen führende Nationalsozialisten, die vor 75 Jahren begannen... mehr...
dpa Berlin. Schon im Koalitionsvertrag haben Union und SPD Verbesserungen für Frauen in Führungspositionen von Unternehmen verabredet. Nach langem... mehr...
dpa/lsw Meckesheim. Ein 70 Jahre alter Motorradfahrer ist bei einem Sturz im Rhein-Neckar-Kreis gestorben. Der Mann kam aus zunächst ungeklärter Ursache... mehr...
dpa/lsw Bruchsal. Ein 40-Jähriger ist wohl bei einem Unglück in seinem Kleinbus in Bruchsal (Kreis Karlsruhe) gestorben. Der leblose Mann war auf dem... mehr...
dpa/lsw Stuttgart. In der Stuttgarter Innenstadt darf in diesem Jahr an Silvester nicht geböllert werden. Innerhalb des City-Rings und auf weiteren... mehr...
dpa/lsw Stuttgart. In Baden-Württemberg sind innerhalb eines Tages 2801 neue Corona-Infektionen registriert worden. Damit ist die Zahl der nachweislich... mehr...
dpa Düsseldorf/Münster. Schlappe für die Landesregierung in Nordrhein-Westfalen: Ein Gericht kippt die Corona-Einreiseverordnung. Einen Reisenden zu isolieren,... mehr...
dpa/lsw Weinsberg. Wegen Sanierungsarbeiten wird der Breitenauer See bei Obersulm (Kreis Heilbronn) von Dezember an abgelassen. Der See ist ein künstlich... mehr...
„Mein Beruf und mein Sport ergänzen sich sehr gut.“ Klaus Weißmann spricht dabei von Flora und Fauna auf der einen sowie vom Tischtennis... mehr...
WAIBLINGEN/LUDWIGSBURG. mehr...
WINNENDEN mehr...
BACKNANG. mehr...
dpa Brüssel/London. Es gibt mehr Bewegung bei den Verhandlungen über einen Brexit-Handelspakt - aber reicht das Tempo? Im Europaparlament denkt man bereits... mehr...
dpa Berlin. Er war „Berlins regierender Friseurmeister“, ein Liebling der Society. Udo Walz ist tot. Sein Leben war filmreif. mehr...
dpa/lsw Leonberg. Der Leonberger Gemeinderat hat beschlossen, dass eine nach dem Mundartdichter August Lämmle benannte Schule umbenannt werden muss... mehr...
dpa/lsw Gaienhofen/Krefeld. Im Fall eines seit Sommer 2019 vermissten und vermutlich toten Mannes aus Gaienhofen (Kreis Konstanz) hat die Staatsanwaltschaft... mehr...
dpa London. Für Alexander Zverev sind die ATP Finals vorbei. Wie zuletzt bei seiner Premiere 2017 schaffte es der Hamburger nicht ins Halbfinale... mehr...
dpa Berlin. Ein Vermisster, Knochenteile an einem Waldstück, Leichenspürhunde: Nach und nach haben Ermittler in Berlin ein Puzzle zusammengesetzt... mehr...
dpa/lsw Stuttgart. Dem VfB Stuttgart stehen für das Auswärtsspiel bei der TSG 1899 Hoffenheim auch die spät zurückgekehrten Nationalspieler Sasa Kalajdzic... mehr...
dpa Frankfurt/Main. Das 0:6 in Spanien hallt auch eine halbe Woche später noch kräftig nach. Doch aus der deutschen Fußball-Szene erhält der beschädigte... mehr...
dpa/lsw Göppingen. Handball-Bundesligist Frisch Auf Göppingen hat den im nächsten Sommer auslaufenden Vertrag mit Torhüter Daniel Rebmann um zwei Jahre... mehr...
dpa Hagen. Der Verdacht ist gravierend. Eine Kita-Leiterin soll gegenüber den ihr anvertrauten Kinder gewalttätig geworden sein. Die Kita in... mehr...
dpa/lsw Lörrach. Zollbeamte haben im südbadischen Lörrach einen Obdachlosen kontrolliert, der den Staat um mehr als eine Million Steuern betrogen haben... mehr...
dpa/lsw Stuttgart. Im Rennen um die Stuttgarter Rathausspitze erhält der unabhängige Kandidat Marian Schreier trotz seines Parteibuchs keine Rückendeckung... mehr...
dpa Freiburg. Christian Streich hat Verschwörungstheorien von manchen Politikern und Prominenten im Rahmen der Corona-Pandemie scharf kritisiert... mehr...
dpa Bozen/Bratislava/Wien. Südtirol startet einen dreitägigen Massentest, um die Corona-Welle schneller zu brechen. Österreich fängt bei geplanten Reihen-Checks... mehr...
dpa/lsw Oberhausen-Rheinhausen. Nach einem Brand in Oberhausen-Rheinhausen (Kreis Karlsruhe) ist eine 70 Jahre alte Bewohnerin ihren Verletzungen erlegen. Sie sei... mehr...
dpa Berlin. Speisen und Getränke zum Mitnehmen sind im Trend. Damit dabei weniger Plastikmüll anfällt, soll bald eine Mehrwegverpackung verpflichtend... mehr...
dpa München. Im Bundesliga-Rekordduell feiert Hansi Flick Bayern-Jubiläum. Vor seinem 50. Pflichtspiel geht es auch um die Bundestrainer-Frage... mehr...
dpa Düsseldorf. Viele Händler haben in diesem Jahr als sonst damit begonnen, mit Black-Friday-Rabatten zu werben. Doch ob das reicht, die Kauflust... mehr...
dpa Freiburg. Fußball-Bundesligist SC Freiburg muss in seiner ersten Partie nach der Länderspielpause am Sonntag (15.30 Uhr/Sky) gegen den Tabellenletzten... mehr...
dpa Berlin. Der Schock der Corona-Krise hat einer Studie zufolge alle Regionen in Deutschland ökonomisch geschwächt. Viele würden aber wieder... mehr...
dpa Limburg. Vor gut einem Jahr kaperte ein Mann einen Lastwagen und fuhr an einer Ampel gegen mehrere stehende Autos. 18 Menschen wurden verletzt... mehr...
dpa Dortmund. Borussia Dortmunds Trainer Lucien Favre hat noch keine Entscheidung über ein mögliches Bundesliga-Debüt von Super-Talent Youssoufa... mehr...
dpa/lsw Ulm. Wer bei der Suche nach einem Job zu einem digitalen Auswahlgespräch eingeladen wird, schneidet dort im Schnitt deutlich schlechter... mehr...
dpa/lsw Stuttgart. Bei der Weltausstellung Expo in Dubai 2021 leistet sich Baden-Württemberg einen eigenen Pavillon. Damit will das Land werben. Eine... mehr...
dpa Bremen. Das Segelschulschiff „Gorch Fock“ ist der Stolz der Marine. Doch für den Steuerzahler ist die Sanierung ein teures Unterfangen. Auch... mehr...
dpa/lsw Leimen. Bei einem Bremsmanöver ist eine Elfjährige in Leimen (Rhein-Neckar-Kreis) mit dem Kopf gegen die Frontscheibe eines Linienbusses geprallt... mehr...
dpa/lsw Stuttgart. Nach ersten Fällen in Norddeutschland schätzt das Landwirtschaftsministerium das Risiko von Vogelgrippe-Fällen im Südwesten als hoch... mehr...
dpa/lsw Berlin/Stuttgart. In Baden-Württemberg ist der Anteil der in relativer Armut lebenden Menschen zwar auf den höchsten Stand seit der Wiedervereinigung... mehr...
dpa Ludwigshafen. Dem Handball-Bundesligisten Eulen Ludwigshafen fehlt laut eigener Auskunft aufgrund der Corona-Pandemie ab Dezember eine Halle zur... mehr...
dpa Ludwigshafen. Ab 1. Dezember haben die Eulen Ludwigshafen keine Handball-Heimat in der eigenen Stadt mehr. In der Friedrich-Ebert-Halle soll stattdessen... mehr...
dpa London. Die Formel 1 plant mittelfristig mit einer Ausweitung des Kalenders auf 24 Rennen. mehr...
dpa/lsw Stuttgart. Nach dem heftigen Einbruch im Frühjahr haben sich die Exporte der Südwest-Wirtschaft zuletzt wieder etwas erholt. Im dritten Quartal... mehr...
dpa/lsw Tübingen/Reutlingen. Die Stadt Reutlingen kommt ohne Diesel-Fahrverbote aus. Mit einem überarbeiteten Luftreinhalteplan werde der Immissionsgrenzwert... mehr...
dpa/lsw Meckenbeuren. Ein 30-Jähriger soll in einem Wohnheim in Meckenbeuren (Bodenseekreis) auf einen Mann eingestochen und diesen schwer verletzt haben... mehr...
dpa Berlin. Noch schwerer als andere Wintersportler sind Athleten in den Eissportarten von der Corona-Pandemie gebeutelt. Aufgrund der hohen... mehr...
dpa/lsw Heidenheim. Neuzugang Dzenis Burnic steht nach wochenlanger Verletzungspause vor seinem Pflichtspieldebüt für den 1. FC Heidenheim. Der 22 Jahre... mehr...
dpa Berlin. Hunderttausende Firmen haben in der Corona-Pandemie ihre Mitarbeiter schon in Kurzarbeit geschickt. In der Krise wurden die Regeln... mehr...
dpa/lsw Überlingen. Seit 2017 versucht ein Projekt, die seltene Vogelart des Waldrapps am Bodensee wieder heimisch zu machen. Das funktionierte bislang... mehr...
dpa/lsw Stuttgart. Im Gegenzug für günstigere oder kostenlose Angebote im öffentlichen Nahverkehr (ÖPNV) sollen Kommunen im Südwesten Geld von Bürgern... mehr...
dpa Karlsruhe/Braunschweig. Ein 43-jähriger Deutscher steht im Verdacht, vor Jahren in Portugal die kleine Maddie verschleppt und getötet zu haben. Bisher gibt... mehr...
dpa Frankfurt/Main. Mit einer freundlichen Tendenz ist der deutsche Aktienmarkt am Freitag ins Wochenende gegangen. Der Dax schloss 0,39 Prozent höher... mehr...
dpa/lsw Karlsruhe. Der Corona-Ausbruch beim Fleischkonzern Tönnies hat dem Fußballprofi Lukas Fröde zumindest vorerst die Lust auf Fleisch verdorben... mehr...
dpa München. Einer neuen Konjunkturumfrage des Münchner ifo-Instituts zufolge haben deutschen Unternehmen Schwierigkeiten ihre Geschäfte vorh... mehr...
dpa/lsw Karlsruhe. Kapitän Jerôme Gondorf sieht den Karlsruher SC trotz des durchwachsenen Saisonstarts in der 2. Fußball-Bundesliga auf einem guten... mehr...
dpa/lsw Stuttgart. Die politische Stimmung in Baden-Württemberg bleibt nach einer neuen Umfrage auch rund 100 Tage vor Landtagswahl weitgehend stabil... mehr...
ERDMANNHAUSEN (pol). Kurz nach 22:05 Uhr am Donnerstag ist ein 36-jähriger Mann bei einem Unfall auf der Landesstraße 1124, zwischen... mehr...
dpa/lsw Stuttgart. Zum Ende der Woche sind in manchen Regionen in Baden-Württemberg zarte Schneeflocken gefallen. Der Anblick sei aber von kurzer Dauer... mehr...
dpa Berlin. Nach der 0:6-Niederlage der deutschen Fußball- mehr...
dpa Maastricht. August 1998: Ein Kind wird tot gefunden - missbraucht. Das Entsetzen ist groß. Es ist einer der spektakulärsten Kriminalfälle der... mehr...
dpa London. Einzug ins Halbfinale oder letztes Spiel des Jahres? Für Alexander Zverev steht gegen Novak Djokovic am Freitag viel auf dem Spiel... mehr...
dpa/lsw Karlsruhe. Kopf in den Nacken, Mund auf, ein Stäbchen kommt tief in Rachen und Nase. Angenehm ist ein Corona-Schnelltest nicht, könnte aber... mehr...
dpa Mexiko-Stadt. Besitz von bis zu 28 Gramm Marihuana für den Freizeitkonsum: Mexiko will nach Uruguay und Kanada der dritte Staat sein, der den Verbrauch... mehr...
dpa Oberhausen. Schlimmes Ende eines Familienstreits: Ein Mann soll in Oberhausen bei einem Streit mit seiner Partnerin deren Tochter und zwei Nachbarinnen... mehr...
dpa Frankfurt/Main. Für den Vorstand Leistungssport des Deutschen Olympischen Sportbundes, Dirk Schimmelpfennig, wäre die Austragung der Tokio-Spiele... mehr...
dpa/lsw Stuttgart. Der Expo-Pavillon für die Weltausstellung in Dubai steht noch nicht einmal und schon ist er Thema eines Untersuchungsausschusses... mehr...
dpa/lsw Stuttgart. Die Bevölkerung in Deutschland wird laut einer Prognose bis 2035 gerade in den Ballungsräumen wachsen - wenn auch nicht mehr so stark... mehr...
dpa Düsseldorf/München. Arbeitsminister aus vier Bundesländern haben sich dafür ausgesprochen, mit Hartz-IV-Beziehern in bestimmten Aspekten weniger hart... mehr...
dpa Frankfurt/Main. Die starke Zuwanderung von Fachkräften hat in den vergangenen Jahren die Großstädte in Deutschland anschwellen lassen. Nun aber dämpft... mehr...
dpa Berlin. Vor neuen Bund-Länder-Beratungen zu den Anti-Corona-Maßnahmen zeichnen sich keine Lockerungen ab. Vor allem an den Schulen soll es... mehr...
dpa Wisla. Die Reisepläne sind gemacht, die Konzepte liegen vor: An diesem Samstag steht für die Skispringer der erste Weltcup nach rund acht... mehr...
dpa Berlin. Dass Abgeordnete im Bundestag von Besuchern bedrängt werden, hat es noch nicht gegeben. Zwei Tage später ist die Empörung darüber... mehr...
dpa Berlin. Wenn Wohnzimmer, dann richtig: Nicht nur die Delegierten können beim virtuellen Parteitag der Grünen von der Couch aus abstimmen,... mehr...
dpa Berlin/Stuttgart. Während US-Präsident Donald Trump beim Truppenabzug aus Afghanistan und dem Irak Tempo macht, scheint die geplante Reduzierung der... mehr...
dpa Berlin. Kann Schalke die schwarze Serie endlich beenden? Bleibt beim Nord-Süd-Schlager Bremen vs. Bayern alles beim Alten? Und wie schlägt... mehr...
dpa/lsw Erdmannhausen. Bei einem Verkehrsunfall in der Nähe von Erdmannhausen (Landkreis Ludwigsburg) ist ein Autofahrer ums Leben gekommen. Der 36-Jährige... mehr...
dpa Berlin/Brüssel. Ein Videogipfel der EU-Staats- und Regierungschefs hat den bitteren Konflikt mit Ungarn und Polen über Geld und Rechtsstaat nicht... mehr...
dpa Kuala Lumpur. Acht Monate haben Trump und Xi nicht mehr miteinander gesprochen. Das Verhältnis ist zerrüttet. So wollte ihm der US-Präsident nicht... mehr...
dpa Washington. Kommunisten, der 2013 verstorbene Präsident von Venezuela, böswillige Software: Die Anwälte von Präsident Trump werfen mit abenteuerlichen... mehr...
dpa/lsw Stuttgart. Bei der Weltausstellung Expo in Dubai 2021 leistet sich Baden-Württemberg einen eigenen Pavillon. Damit will das Land werben. Eine... mehr...
dpa/lsw Stuttgart. Die Corona-Pandemie hinterlässt ihre wirtschaftlichen Spuren vor allem bei den ärmeren Familien in Baden-Württemberg. Davor warnt... mehr...
dpa New York/Mainz. Gerade erst haben sie beeindruckende Daten zu ihrem Corona-Impfstoff vorgelegt. Nun gehen Biontech und Pfizer den nächsten Schritt... mehr...
dpa/bb Mannheim. Die Eisbären Berlin haben auch ihr zweites Spiel im Vorbereitungsturnier der Deutschen Eishockey Liga (DEL) verloren. Am Donnerstagabend... mehr...
dpa/lsw Karlsruhe. Rund 500 Menschen haben nach Angaben der Polizei in Karlsruhe gegen Corona-Beschränkungen demonstriert - auch noch nach Auflösung... mehr...
dpa London. Da war mehr drin! Kevin Krawietz und Andreas Mies haben die Krönung einer erneut sehr erfolgreichen Saison verpasst. Bei den ATP... mehr...
dpa Wetzlar. Die HSG Wetzlar ist mit einem überraschend deutlichen Sieg vorerst an die Spitzengruppe der Handball-Bundesliga herangerückt. Die... mehr...
Ein Mal quer durch die Weltrangliste der Klasse bis 48 Kilogramm kämpfte sich TSG-Judoka Katharina Menz bei der Europameisterschaft... mehr...
Panini. Wohl allen Freunden des runden mehr...
dpa/lsw Stuttgart. In Baden-Württemberg sind innerhalb eines Tages nach Angaben aus dem Landesgesundheitsamt 3168 neue Corona-Infektionen registriert... mehr...
dpa Prag. Die deutschen Judokas jubeln zum Auftakt der EM in Tschechien über zwei Medaillen. Katharina Menz feiert trotz schwieriger Vorbereitung... mehr...
dpa Berlin. Dubiose Spenderlisten, Strohleute - diese alte Affäre ist für Alice Weidel sehr unangenehm. Jetzt soll ihre Partei eine saftige Strafe... mehr...
dpa Berlin. Dubiose Spenderlisten, Strohleute - diese alte Affäre ist für Alice Weidel sehr unangenehm. Jetzt soll ihre Partei eine saftige Strafe... mehr...
dpa Prag. Die deutschen Judokas jubeln zum Auftakt der EM in Tschechien über zwei Medaillen. Katharina Menz feiert trotz schwieriger Vorbereitung... mehr...
BURGSTETTEN. mehr...
BACKNANG/BERLIN mehr...
MURRHARDT. mehr...
Zunächst einmal besitzt das Wort „Titel“ mehrere Bedeutungen. Ich finde nicht, dass in einem Wettbewerb errungene Titel überbewertet... mehr...
dpa Kehl. Wegen einer Verunreinigung mit gesundheitsgefährdenden Bakterien ruft der Molkereikonzern Lactalis einen französischen Weichkäse... mehr...
dpa Brüssel. Das Meer ist Urlaubsziel, Arbeitsplatz für Fischer, Lebensraum für Tiere. Aber es könnte auch riesige Mengen Strom liefern. Wie bringt... mehr...
dpa/lsw Ulm. Eine in Brand geratene Batterie hat in Ulm einen großen Schaden angerichtet. Das erste Obergeschoss eines Firmengebäudes brannte... mehr...
dpa/lsw Stuttgart. Auf frischer Tat ertappt, haben sich zwei Diebinnen in einem Stuttgarter Geschäft vor dem Filialleiter entblößt und sind daraufhin... mehr...
dpa/lsw Stuttgart. Nach Misshandlung, Folter, tödlicher Gewalt und Terror in Syrien ist ein Anhänger des sogenannten Islamischen Staats in Stuttgart... mehr...
dpa/lsw Pforzheim/Aalen. Der Werkzeughersteller Mapal baut am Standort Pforzheim nur noch rund ein Viertel der ursprünglich geplanten Stellen ab. Durch Maßnahmen... mehr...
dpa/lsw Heilbronn. Die baden-württembergische Polizei hat in den letzten Monaten in Einzelfällen die Corona-Kontaktdaten von Restaurantbesuchern zur... mehr...
dpa/lsw Stuttgart. Wegen der Gefahr einer Radikalisierung der „Querdenken“-Bewegung kommt das Parlamentarische Kontrollgremium in Baden-Württemberg... mehr...
dpa Herrenberg. Wegen eines nicht gekennzeichneten Allergens ruft der Hersteller Monolith Süd GmbH ein Fruchtgelee zurück. Auf der Verpackung sei... mehr...
dpa Washington. Die Zahl der Anträge auf Arbeitslosenhilfe gibt in den USA einen realistischen Eindruck der Beschäftigungslage. Während der Krise... mehr...
dpa Washington. Die Corona-Krise bringt die Weltwirtschaft kräftig ins Schwanken. Die aktuelle IWF-Einschätzung zeichnet ein düsteres Bild. mehr...
dpa/lsw Mannheim. Mit der nötigen Demut, aber auch mit viel Selbstvertrauen strebt Fußball-Drittligist SV Waldhof Mannheim den dritten Sieg nacheinander... mehr...
dpa/lsw Kiel. Fußball-Zweitligist Holstein Kiel hofft im Heimspiel am Samstag (13.00 Uhr/Sky) gegen den 1. FC Heidenheim auf einen Einsatz von... mehr...
dpa/lsw Stuttgart. Schutz vor Wohnungseinbruch, Warnung vor falschen Polizisten oder Aufklärung über den Enkeltrick: Die baden-württembergische Polizei... mehr...
dpa/lsw Sandhausen. Mit Rückkehrer Julius Biada peilt Fußball-Zweitligist SV Sandhausen die ersten Auswärtspunkte der Saison an. Nach vier sieglosen... mehr...
dpa Brüssel. Der Vorschlag liegt noch gar nicht auf dem Tisch, aber schon jetzt gibt es heftige Kritik an der neuen Abgasnorm Euro 7. Der EU-Kommissionsvize... mehr...
dpa Brüssel. EU-Kommissionsvize Frans Timmermans hat Pläne zur Einführung einer scharfen neuen Abgasnorm Euro 7 für Autos verteidigt. Man könne... mehr...
dpa Sigmarszell. Rund 18 Kilogramm einer speziellen und womöglich harmlosen Cannabis-Sorte hat die Polizei am Bodensee und in Koblenz sichergestellt... mehr...
dpa/lsw Singen am Hohentwiel. Bei dem Brand der denkmalgeschützten Scheffelhalle in Singen (Kreis Konstanz) ist Asbest freigesetzt worden. Anwohner seien vor Rußpartikeln... mehr...
dpa/lsw Stuttgart. Erstmals seit der Finanzkrise steht dem Handwerk im Südwesten in diesem Jahr ein Umsatzrückgang bevor. Man rechne mit etwa 101 Milliarden... mehr...
dpa Frankfurt/Wiesbaden. Deutschlands Verbraucher erweisen sich als verantwortungsbewusste Schuldner - auch im Corona-Jahr 2020. Ob das so bleibt, hängt maßgeblich... mehr...
dpa Berlin/Dresden. Dass der Zugriff auf die mutmaßlichen Juwelendiebe nicht ganz perfekt lief, wurde schnell klar: Zwei Verdächtige konnten entkommen,... mehr...
dpa Berlin. Mehr als 111 Kilometer an Stasi-Akten stehen beim Bundesbeauftragten für Stasiunterlagen. Mehr als 3,3 Millionen Bürger stellten... mehr...
dpa Washington. In maximal 30 Minuten können US-Käufer eines Corona-Tests für den Hausgebrauch künftig erfahren, ob sie positiv oder negativ sind... mehr...
dpa Nürnberg. Es ist das erste Mal, dass in Deutschland ein mutmaßliches Mitglied der „Feuerkrieg Division“ vor Gericht steht. In der rechten Chatgruppe... mehr...
dpa Brisbane. Während in etlichen Ländern volle Stadien wegen der Corona-Pandemie undenkbar sind, haben in Australien fast 50.000 Menschen ein... mehr...
dpa Berlin. Im Sturm der öffentlichen Empörung prüft der DFB sein Vertrauen in Joachim Löw. Eine schonungslose Fehleranalyse des Bundestrainers... mehr...
dpa Frankfurt/Main. Was für ein Mensch ist der mutmaßliche Mörder des Kasseler Regierungspräsidenten Walter Lübcke? Auch der psychiatrische Gutacher... mehr...
dpa/lsw Karlsruhe. Trainer Christian Eichner vom Fußball-Zweitligisten Karlsruher SC hat vor dem Spiel bei Eintracht Braunschweig am Samstag (13.00... mehr...
dpa Hartheim am Rhein. Einen Hundewelpen hat sich ein niederländisches Paar in der Schweiz gekauft - weil es das neue Haustier jedoch nicht beim Zoll angemeldet... mehr...
dpa Stuttgart. Als unbekannter Trainer war Pellegrino Matarazzo letzten Winter von der TSG 1899 Hoffenheim zum VfB Stuttgart gewechselt. Als geschätzter... mehr...
dpa/lsw Stuttgart. Keine großen Partys, aber wenigstens ein Feuerwerk: Führende Regierungsvertreter aus Baden-Württemberg wollen, dass Silvester trotz... mehr...
dpa Düsseldorf. Nach einem Dreivierteljahr ohne DEL-Spiele soll es künftig „Nonstop Eishockey“ geben. Eine Woche vor Heiligabend startet die DEL... mehr...
dpa Stuttgart. Fußball-Bundesligist VfB Stuttgart hat nach der Länderspiel-Rückkehr von Borna Sosa und Darko Churlinov besondere Vorsichtsmaßnahmen... mehr...
dpa/lsw Bad Schönborn. Wegen der Corona-Auflagen soll er angewiesen haben, dass der Ratstisch im Rathaus zerstört wird: Nun ermittelt die Karlsruher Staatsanwaltschaft... mehr...
dpa London. Trotz Champions-League-Enttäuschungen in Serie und eines schwachen Ligastarts setzt Manchester City weiter auf Pep Guardiola und... mehr...
dpa Düsseldorf. Der Konzentrationsprozess im deutschen Buchhandel geht weiter. Das Bundeskartellamt gab am Donnerstag grünes Licht für das Zusammengehen... mehr...
dpa Berlin. Die Corona-Krise macht vielen Händlern in den Einkaufsstraßen zu schaffen. Das wissen die Kunden und machen sich Sorgen um deren... mehr...
dpa Ulm/Berlin. Gewalt gegen Kinder erfährt immer weniger Zustimmung. Dennoch hält ein großer Anteil der Deutschen diese weiter für angemessen. Die... mehr...
dpa/lsw Niederstotzingen. In Baden-Württemberg liegen sechs Stätten, die in die Unesco-Welterbeliste eingetragen sind. Einer davon geht das Geld aus. Die Stadt... mehr...
dpa Karlsruhe/Köln. Kondensstreifen zweier Kampfflugzeuge der Bundeswehr haben aufgrund ihrer Form kuriose Spekulationen im Internet ausgelöst. Wegen... mehr...
dpa Stuttgart. Ein Lottospieler aus Offenburg hat fast drei Millionen Euro gewonnen. Der noch unbekannte Tipper hatte im Spiel 77 sechs von sieben... mehr...
dpa London. Es war das Finale im Jahr 2018. Und es ist jetzt auch das Duell zweier Spieler, die in diesem Jahr für viele Negativschlagzeilen... mehr...
dpa/lsw Zuzenhausen. Hoffenheim ist der Corona-Hotspot der Fußball-Bundesliga, doch das übervolle Programm lässt keine Auszeit zu: Gegen den VfB muss... mehr...
dpa/lsw Stuttgart. In Steinbrüchen sollen weltweit Hunderttausende von Kindern arbeiten. Oft werden dort Grabsteine für den Westen bearbeitet. Bislang... mehr...
dpa Zuzenhausen. Die TSG 1899 Hoffenheim hat einen Antrag, die Bundesliga-Partie gegen den VfB Stuttgart von Samstag auf Sonntag zu verschieben, nicht... mehr...
dpa/lsw Schwäbisch Hall. Unbekannte Diebe haben von einer Baustelle in Schwäbisch Hall mehr als 6000 Meter Kabel und Leitungen gestohlen und dabei einen Schaden... mehr...
dpa/lsw Stuttgart. Von den Folgen des Teil-Lockdowns sind nach Ansicht des Caritas-Verbandes Kinder und Jugendliche aus ärmeren Familien besonders betroffen... mehr...
dpa/lsw Fröhnd. Der Ärger in der Gemeinde Fröhnd (Kreis Lörrach) ist vermutlich groß: Ohne jeden Gegenkandidaten ist Amtsinhaberin Tanja Steinebrunner... mehr...
dpa Wisla. Die Schanzen liegen oft mitten im Grünen, die Ränge werden in diesem Winter meist leer sein: Skispringer Markus Eisenbichler und... mehr...
dpa Frankfurt/Main. Acht Länderspiele im Herbst, zahlreiche Infektionen und ein Risikofaktor für die Clubs: DFL-Boss Christian Seifert verdeutlicht,... mehr...
dpa Magdeburg. Der SC Magdeburg hat das Spiel gegen TuSEM Essen in der Handball-Bundesliga wegen eines Corona-Verdachts kurzfristig abgesagt. mehr...
dpa/lsw Ulm. Basketballer Killian Hayes hat es vom Bundesligisten ratiopharm Ulm zu einem Topdraft in der NBA geschafft. Der 19-Jährige, der in... mehr...
dpa/lsw Stuttgart. Kapitän Gonzalo Castro vom VfB Stuttgart verspürt in Sachen Zukunftsplanung trotz seines im kommenden Sommer auslaufenden Vertrags... mehr...
dpa Ratingen. Ein Wort hören Vertreter der Fastfood-Branche gar nicht gern: Fastfood. Stattdessen sprechen sie von „Quick Service“ - eine schnelle... mehr...
dpa Frankfurt/Main. Die hohen Corona-Infektionszahlen haben die Stimmung am deutschen Aktienmarkt am Donnerstag wieder stärker getrübt. Der Dax verlor... mehr...
dpa Washington. Donald Trump gibt seinen Widerstand gegen die Niederlage bei der Präsidentenwahl nicht auf. Seine Anwälte sind nun darauf aus, Ergebnisse... mehr...
dpa Kuala Lumpur. Nach der Wahlniederlage von Trump geht Xi Jinping in die Offensive. Erst schließt China den weltgrößten Freihandelsvertrag, dann... mehr...
dpa Berlin. Jedes Jahr wird darüber diskutiert, ob Böller und Raketen zu Silvester verboten werden sollten - zu laut, zu viel Feinstaub, zu viel... mehr...
dpa Berlin. Das Robert Koch-Institut mahnt angesichts der Corona-Zahlen: „Wir sind noch lange nicht über den Berg.“ Derweil beginnt nach den... mehr...
dpa/lsw Stuttgart. Baden-Württembergs Ministerpräsident Winfried Kretschmann stimmt die Menschen auch hinsichtlich kirchlicher Gottesdienste auf ein... mehr...
dpa Berlin. Er gilt als einer der Drahtzieher des größten Betrugsfalls der Nachkriegszeit. Vor dem Untersuchungsausschuss des Bundestags sagt... mehr...
dpa Essen. Bei den Energiekosten ist für die Haushalte in Deutschland keine Entlastung in Sicht - obwohl der Bund viele Milliarden Euro in die... mehr...
dpa Berlin. DOSB-Präsident Alfons Hörmann hat sich vor dem nächsten Corona-Gipfel der Politik erneut für flexiblere Maßnahmen im Sport stark... mehr...
dpa Essen. Thyssenkrupp steckt tief in der Krise. Die Corona-Pandemie hat die seit langem anhaltenden Probleme des Traditionskonzerns verschärft... mehr...
dpa/lsw Stuttgart. Mit Nebel- und Hochnebelfeldern startet das Wetter in Baden-Württemberg in den Donnerstag. Diese lösen sich jedoch rasch auf und... mehr...
dpa Los Angeles. Für Dennis Schröder geht es in der kommenden Saison um den NBA-Titel. Durch seinen Wechsel zu den Los Angeles Lakers klettert der... mehr...
dpa/lsw Oberhausen-Rheinhausen. Bei einem Brand in einem Wohnhaus in Oberhausen-Rheinhausen (Kreis Karlsruhe) hat sich eine Bewohnerin lebensgefährliche Verletzungen... mehr...
dpa/lsw Frankfurt/Main. Ex-Weltmeister Johannes Vetter hat im Olympia-Jahr angespornt durch seinen großen Speerwurf Anfang September auf 97,76 Meter viel... mehr...
dpa Berlin. Keine Corona-Entwarnung: Die Neuinfektionen nehmen im Vergleich zur Vorwoche leicht zu. Die Zahl der Todesfälle im Zusammenhang mit... mehr...
dpa/lsw Stuttgart. Das Freihalten von Betten für Corona-Patienten bringt die Krankenhäuser in die finanzielle Bredouille. Nicht belegte Betten könne... mehr...
dpa Stuttgart. Nach Meinung von Nationalmannschafts-Boxerin Sarah Scheurich begünstigen die Strukturen in ihrer Sportart sexualisierte Gewalt. „Ich... mehr...
dpa Berlin. Die Klatsche in Spanien nährt die Zweifel an Bundestrainer Joachim Löw. Wie lange hält der DFB noch am Chefcoach fest? Und wer könnte... mehr...
dpa Berlin. Mehr als hundert Festnahmen, Wasserwerfer am Brandenburger Tor: Der Polizeieinsatz in Berlin gegen Gegner der staatlichen Corona-Maßnahmen... mehr...
dpa Berlin/Brüssel. Die Zerreißprobe der EU im Streit über Geld und Rechtsstaatlichkeit ist noch nicht überwunden. Aber immerhin im Kampf gegen die Pandemie... mehr...
dpa Düsseldorf. Sind alle 14 Teams dabei? Wann geht es los? Und wie wird gespielt? Das sind Fragen, die die Deutsche Eishockey Liga am heutigen Donnerstag... mehr...
dpa Berlin. Wie mangelhaft war die Doktorarbeit von Franziska Giffey? Ihren Doktortitel will die Ministerin wegen der Plagiats-Diskussionen nicht... mehr...
dpa Sydney. Seit 2001 kämpfen auch australische Einheiten in Afghanistan. Nun hat ein Untersuchungsbericht „schwerste Verstöße“ australischer... mehr...
dpa Emmerich. Vor mehr als zwei Wochen gelang es Unbekannten, 6,5 Millionen Euro aus dem Hauptzollamt zu erbeuten. Bei solchen Summen schlackern... mehr...
dpa/lsw Rottweil. Vor dem Landgericht Rottweil hat am Donnerstag ein Prozess gegen eine 36 Jahre alte Frau begonnen, die ihren drei Jahre alten Sohn... mehr...
dpa Washington. Die USA haben einen weiteren dramatischen Punkt in der Corona-Pandemie erreicht: Mehr als 250.000 Menschen sind bereits nach einer... mehr...
dpa New York. In der US-Metropole New York schließen erneut die Schulen. Grund: der hohe Anteil an Corona-Neuinfektionen. Da die Pandemie landesweit... mehr...
dpa Berlin. Familienministerin Franziska Giffey will auf das Führen ihres Doktortitels verzichten. Dennoch prüft die Freie Universität Berlin... mehr...
WAIBLINGEN mehr...
BACKNANG. mehr...
BACKNANG mehr...
OPPENWEILER. mehr...
KIRCHENKIRNBERG. mehr...
dpa München. BMW sagt dem Vierzylinder in München adieu - aber nur bei der Motorenproduktion im Stammwerk. Wo heute Verbrennermotoren gebaut werden,... mehr...
dpa/lsw Stuttgart. In Baden-Württemberg sind innerhalb eines Tages nach Angaben aus dem Landesgesundheitsamt 3062 neue Corona-Infektionen registriert... mehr...
dpa London. Alexander Zverev bleibt bei den ATP Finals im Rennen. Gegen Diego Schwartzman gelingt der deutschen Nummer eins der erste Sieg. Nun... mehr...
dpa/lsw Stuttgart. Mit Stuttgart und Ludwigsburg überschreiten in Baden-Württemberg wohl nur noch zwei Städte den Stickstoffdioxid-Grenzwert. „Die vorläufigen... mehr...
dpa Berlin. Für die Berliner Polizei war schon vorher klar: Der Einsatz beim Protest von Gegnern der Corona-Maßnahmen unter Hygiene-Auflagen... mehr...
dpa/lsw Stuttgart. In Baden-Württemberg sollen bis Ende 2023 Busse ganz ohne Fahrer im öffentlichen Nahverkehr unterwegs sein. Dies sieht ein Forschungsprojekt... mehr...
dpa/lsw Stuttgart. Im Prozess um die Windreich-Insolvenz hat die Staatsanwaltschaft gegen Firmengründer Willi Balz fünf Jahre und drei Monate Haft beantragt... mehr...
dpa Brüssel. Gegen die tiefe Rezession sollen die EU-Staaten alle Instrumente nutzen, sagt die EU-Kommission. Dafür sollen vorübergehend auch... mehr...
dpa Aalen. Das Vorgehen in der Fußball-Regionalliga Südwest nach dem Teil-Lockdown ist länger unklar als zunächst gedacht. Die ursprünglich... mehr...
dpa München. Die Autoländer Bayern, Baden-Württemberg und Niedersachsen haben die EU-Kommission zu Anpassungen bei ihrer Klima- und Wirtschaftspolitik... mehr...
dpa Köln. In der Debatte um die Austragung der Handball-WM im Januar in Ägypten will die Bundesliga (HBL) den Kontakt zum Weltverband IHF in... mehr...
dpa Heilbronn. Die Firma Landliebe ruft verschiedene Puddingsorten zurück. Betroffen sind die 4x125-Gramm-Packungen der Sorten „Landliebe Grießpudding... mehr...
dpa Eriwan/Baku/Moskau. Inmitten einer schweren innenpolitischen Krise kündigt Armeniens Ministerpräsident den Wiederaufbau der Konfliktregion Berg-Karabach... mehr...
dpa Karlsruhe. Der Dieselskandal beschäftigt den Bundesgerichtshof (BGH) auch im kommenden Jahr. Am 23. Februar wollen die obersten Zivilrichter... mehr...
dpa/lsw Stuttgart. Baden-Württembergs Wirtschaftsministerin Nicole Hoffmeister-Kraut (CDU) sieht in der Verlängerung der aufgestockten Kaufprämie für... mehr...
dpa Mainz/New York. Das Mainzer Unternehmen Biontech und sein US-Partner Pfizer beziffern die Wirksamkeit ihres Corona-Impfstoffs auf 95 Prozent. Das... mehr...
dpa Berlin. Mit Paket unterm Arm in der Weihnachtszeit dicht an dicht anstehen - bitte nicht. Abstand und Hygiene sind eine Herausforderung für... mehr...
dpa Sevilla. Nach dem 0:3 brüllt Manuel Neuer seine Vorderleute noch lauthals an. Nach Gegentor Nummer vier schlägt er nur noch frustriert gegen... mehr...
dpa/lsw Stuttgart. Trotz steigender Geschäfte im Wohnungsbau sieht die baden-württembergische Bauwirtschaft schwere Zeiten auf sich zukommen. Nach am... mehr...
dpa/lsw Stuttgart. Weil Einladungen die Mitglieder nicht mehr fristgerecht erreicht haben, sagt die baden-württembergische AfD den für Dezember geplanten... mehr...
„Ich hoffe, dass die Vernunft am Ende siegt“, hatte sich TSG-Vorstandsmitglied Marc Erdmann gewünscht. Damit hatte der 49-Jährige... mehr...
dpa/lsw Stuttgart. Die Landesregierung möchte Ehrenamtliche und Vereine im Südwesten von Bürokratie entlasten. Die Regierung habe am Dienstag ein Paket... mehr...
dpa Mannheim. Nach den positiven Corona-Fällen in der Handball-Nationalmannschaft fällt nun auch das Bundesliga-Spiel der Rhein-Neckar Löwen bei... mehr...
dpa Berlin. Wenn Menschen hinter komplexen Ereignissen wie der Corona-Pandemie rational kalkulierende Personen oder Gruppen ausmachen wollen... mehr...
dpa Brüssel. „Testen, testen, testen“ wird in der Corona-Krise immer wieder als Rezept beschworen. Die gewöhnlichen PCR-Tests sind allerdings... mehr...
dpa Berlin. Es gibt Lichtblicke bei den Corona-Infektionen. Doch eine wichtige Kennzahl steigt ausgerechnet bei Kindern, Jugendlichen und alten... mehr...
dpa/lsw Stuttgart. Um Schulschließungen zu vermeiden, fordert die baden-württembergische SPD eine Rückkehr zum rollierenden System, bei dem ein Teil... mehr...
dpa London. Trotz Pandemie und nahendem Brexit-Finale richtet der britische Premier Boris Johnson den Blick in die fernere Zukunft. Milliardeninvestitionen... mehr...
dpa Magdeburg. Nach mehr als 20 Tagen der Beweisaufnahme halten die Bundesanwälte ihr Plädoyer im Prozess zum Terroranschlag von Halle. Einer der... mehr...
dpa Bonn. Die Ergebnisse verwundern nicht: Die Corona-Krise drückt auf die Stimmung in Deutschland. mehr...
dpa Hohenbrunn. Es ist später Abend, als zwei Männer auf einem Autobahnring südlich von München unterwegs sind. Sie fahren Richtung Salzburg, als... mehr...
dpa Braunschweig. Europameister 2017, Zweiter 2019 - und jetzt? Die deutsche U21 hat zumindest schon mal das EM-Ticket sicher. Der Gruppensieg sorgt... mehr...
dpa Berlin. Joachim Löw wird bei der Europameisterschaft im nächsten Jahr noch Trainer der Nationalmannschaft sein, glaubt zumindest Deutschlands... mehr...
dpa Frankfurt/Main. Der Deutsche Fußball-Bund hat am Mittwoch dem Antrag des SSV Ulm 1846 zugestimmt, das DFB-Pokal-Spiel gegen den FC Schalke 04 am 22... mehr...
dpa Ulm. Da eine Immunisierung der Bevölkerung mehrere Monate dauern wird, raten mehrere medizinische Fachgesellschaften dringend dazu, weiter... mehr...
dpa/lsw Stuttgart. Um die Maßnahmen von Bund und Ländern im Kampf gegen die Corona-Pandemie zu debattieren, wollen die Abgeordneten des Landtags am... mehr...
dpa/lsw Stuttgart. Was geschieht mit Menschen, die sich trotz Corona-Ansteckung oder Kontakt zu einem Infizierten nicht absondern wollen? Dass sie damit... mehr...
dpa/lsw Tübingen. Mit Funktechnik nachgerüstete Garagentore aus dem Internet haben teilweise schwere Sicherheitsmängel. Das ist das Ergebnis einer... mehr...
dpa/lsw Schwetzingen. Ein Pitbull-Mischling hat in Schwetzingen (Rhein-Neckar-Kreis) einen 17-Jährigen angefallen und im Gesicht, an Arm und Rücken verletzt... mehr...
dpa/lsw Reutlingen. Ein mutmaßlich bundesweit agierendes Betrügerpaar ist in Reutlingen festgenommen worden und in Untersuchungshaft gekommen. Wie Staatsanwaltschaft... mehr...
dpa Washington. Nach zwei Abstürzen mit 346 Toten musste Boeings Verkaufsschlager 737 Max 20 Monate lang am Boden bleiben. Ein herber Schlag für... mehr...
dpa/lsw Stuttgart. Baden-Württembergs Pilotprojekt zur Herstellung synthetischer Kraftstoffe aus den CO2-Emissionen von Zementwerken ist einen weiteren... mehr...
dpa/lsw Karlsruhe. Hängepartie oder salomonische Lösung? Nach nicht enden wollenden Vorwürfen wegen seines Führungsstils soll Generalintendant Peter... mehr...
dpa Sevilla. Wie soll es nach diesem Debakel weitergehen? Von Joachim Löw werden nach der historischen Länderspielpleite in Spanien schnelle Antworten... mehr...
dpa/lsw Stuttgart. Homeschooling und wechselnde Dienstpläne, Maskenschutz und zahllose Gespräche mit besorgten Eltern, Ausfälle und Vertretungen: Nach... mehr...
dpa London/Berlin. Immer mehr Länder streben ein baldiges Aus für Verbrennungsmotoren bei Pkw-Neuwagen an. Auch der britische Premier Johnson drückt... mehr...
dpa/lsw Stuttgart. Nach der mutmaßlichen Brandstiftung in einem Stuttgarter Mehrfamilienhaus ist ein Verdächtiger in Untersuchungshaft gekommen. Wie... mehr...
dpa/lsw Karlsruhe. Lediglich eine Prellung und Schürfwunden hat sich eine Elfjährige zugezogen, die in Karlsruhe von einer Straßenbahn erfasst wurde... mehr...
dpa/lsw Häusern. Nach einer Unfallflucht in Häusern (Kreis Waldshut) haben Polizisten den mutmaßlichen Fahrer gefunden - betrunken und im Bett. Polizeiangaben... mehr...
dpa . Der Wirecard-Skandal ist in mehrfacher Hinsicht rekordverdächtig - und einen Spitzenwert erreichen auch die bisherigen Forderungen... mehr...
dpa/lsw Bietigheim-Bissingen. Die abschließenden zwei Spiele der Handballerinnen der SG BBM Bietigheim vor der Europameisterschaft im Dezember sind abgesagt worden... mehr...
dpa Brüssel. Der Corona-Effekt hielt nicht lange an. In Europa geht die Zahl der Kfz-Neuzulassungen wieder zurück. Nach zehn Monaten liegt der... mehr...
dpa Wiesbaden. Trotz Hamsterkäufen geht die Herstellung von Toilettenpapier leicht zurück. Dafür zieht die Nudel-Produktion für kräftig an. mehr...
dpa Berlin. Intercity und ICE sind in der Corona-Pandemie nur gering ausgelastet. Dennoch würde viele Menschen in Deutschland eine Reservierungspflicht... mehr...
dpa/lsw Bruchsal. Weil sich das neu gebaute Dach an der Unterführung am Bruchsaler Bahnhof zu sehr biegt, muss die für Ende 2020 geplante Eröffnung... mehr...
dpa Frankfurt/Main. Lange hat Deutsche-Börse-Chef Weimer nach geeigneten Übernahmezielen gesucht, um den Konzern noch unabhängiger von den starken Schwankungen... mehr...
dpa/lsw Karlsruhe. Das Amtsgericht Karlsruhe wird nun doch über den Vergewaltigungsvorwurf am Badischen Staatstheater entscheiden. Nach einem Beschluss... mehr...
dpa Köln. Angesichts der Verschärfung der Corona-Situation hat die Handball-Bundesliga (HBL) erst kürzlich über eine Unterbrechung der Saison... mehr...
dpa Berlin. „Dieser Abwärtstrend seit einigen Jahren ist besorgniserregend“, sagt der Präsident des Apothekerverbands zur immer geringer werdenden... mehr...
dpa/lsw Karlsruhe. Das Verwaltungsgericht Karlsruhe hat einen Antrag gegen das Tragen von Mund-Nasen-Bedeckungen bei Demonstrationen abgelehnt. Angesichts... mehr...
dpa Frankfurt/Main. Nach einem zähen Auftakt hat sich am Mittwoch am deutschen Aktienmarkt eine freundliche Tendenz durchgesetzt. Der Dax gewann 0,52... mehr...
SCHWAIKHEIM/WINNENDEN mehr...
dpa Köln. Der Absturz einer Betonplatte an der A3 war laut Verkehrsministerium nicht abzusehen: Bei der letzten Prüfung bekam das noch relativ... mehr...
dpa/lsw Pforzheim. Der Corona-Infektionsschutz an den Schulen lässt aus Sicht der neuen Landeschefin der Gewerkschaft Erziehung und Wissenschaft (GEW),... mehr...
dpa Mainz/Stuttgart. Der Kabarettist Florian Schroeder wird mit dem Deutschen Kleinkunstpreis 2021 geehrt - unter anderem für seinen Auftritt bei einer... mehr...
dpa/lsw Karlsruhe. Mittelfeldspieler Alexander Groiß vom Karlsruher SC arbeitet mit einer persönlichen Mentaltrainerin zusammen. „Ich bin offen dafür... mehr...
dpa Berlin. Es gibt verschiedene Möglichkeiten, eine Infektion mit Sars-CoV-2 festzustellen. Die gängigste Variante derzeit sind die sogenannten... mehr...
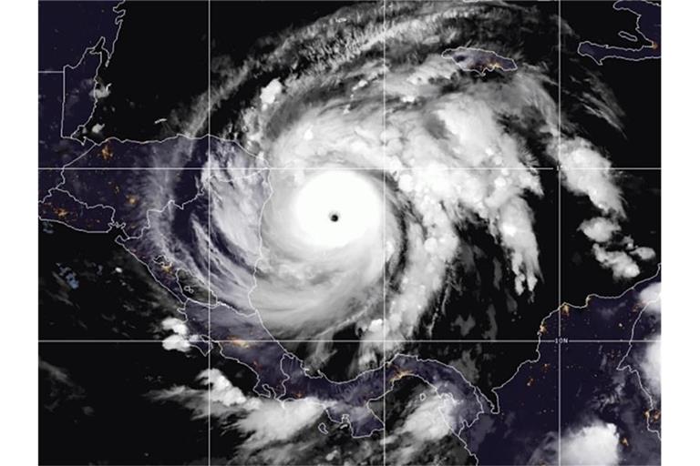
dpa Managua/Tegucigalpa. Erneut wird Mittelamerika von einem gefährlichen Hurrikan getroffen. Große Gebiete in der Region stehen unter Wasser, und es gibt... mehr...
dpa Mainz/Heidelberg. Ausgerechnet in Corona-Zeiten sollen mit dem Winterfahrplan einige Zugverbindungen für Pendler wegfallen. Die rheinland-pfälzische... mehr...
dpa/lsw Metzingen. Fotograf Benjamin Seyfang (32) aus Metzingen (Kreis Reutlingen) hat sich auf Lost Places spezialisiert. Das sind verlassene Orte,... mehr...
dpa/lsw Stuttgart. Im Home Office ist der Kühlschrank nie weit weg und die Wege sind kurz. Das zeigt sich bei manch einem auf der Waage. Was raten ... mehr...
dpa/lsw Heilbronn. Die Beine der bei einem Unfall beschädigten Skulptur des „Käthchens von Heilbronn“ sind nach einem Unfall wieder ganz. Die Figur... mehr...
dpa/lsw Stuttgart. Ähnlich massiv wie die Kultur und das Gastgewerbe sind die Einzelhändler von der Pandemie betroffen, auch wenn die Betriebe nicht... mehr...
dpa/lsw Stuttgart. Der Mittwoch in Baden-Württemberg startet gebietsweise mit Nebel, im Lauf des Tages scheint dafür viel Sonne. Teilweise sinkt die... mehr...
dpa Zuzenhausen. Die TSG 1899 Hoffenheim hat ihren nächsten Corona-Fall. Stürmer Sargis Adamyan wurde auf seiner Länderspielreise mit Armenien positiv... mehr...
dpa München. Die Coronakrise hat Auswirkungen auf fast jeden Lebensbereich. In der Arbeitswelt dürften die langfristigen Veränderungen besonders... mehr...
dpa Berlin. Knapp 1000 Fälle weniger als vor einer Woche - doch die Frage bleibt: Wann bessert sich die Corona-Lage? mehr...
dpa Berlin. Nach heftigen Debatten nimmt das sogenannte dritte Bevölkerungsschutzgesetz zur rechtlichen Neuregelung von Corona-Maßnahmen die... mehr...
dpa Bonn. Die Welt wartet sehnlichst auf die ersten Covid-19-Impfstoffe. Wenn es soweit ist, soll es schnell gehen - Unmengen an Fläschchen... mehr...
dpa London. Um bei den ATP Finals noch eine wichtige Rolle zu spielen, muss Alexander Zverev sein zweites Gruppenspiel gewinnen. Dafür muss sich... mehr...
dpa Berlin. Wieder „Autogipfel“ mit der Kanzlerin: Die Politik pumpt weitere Milliarden in die Branche, um sie durch Corona-Krise und Öko-Umbau... mehr...
dpa Brüssel/Berlin. Die jüngsten militärischen Befehle von Donald Trump versetzen die Nato-Partner in Aufruhr. Sorgt der Verlierer der US-Wahl in den... mehr...
dpa Sevilla. Diese Niederlage tut furchtbar weh. Sechs harte spanische Treffer haben die Hoffnung auf einen Stimmungsaufschwung der DFB-Elf Richtung... mehr...
dpa Washington. Der Leiter einer wichtigen US-Sicherheitsbehörde hat gesagt, was Trump nicht hören will: Die Präsidentenwahl ist nicht manipuliert... mehr...
dpa München. Mit Weltcups der Skirennfahrer, Skispringer und Bobfahrer geht der Wintersport in dieser Corona-Saison so richtig los. Die Rahmenbedingungen,... mehr...
dpa Berlin/Dresden. Die heiße Spur im spektakulären Juwelendiebstahl aus dem Grünen Gewölbe in Dresden führt ins Berliner Clan-Milieu. Die ersten drei... mehr...
dpa Lima. Der Ingenieur soll nun reparieren, was in den jüngsten Turbulenzen zu in Peru Bruch gegangen ist: Nach einer Reihe von Skandalen... mehr...
dpa Sevilla. Im letzten Spiel des Corona-Jahres erlebt die Fußball-Nationalelf ein fast historisches Debakel. Das 0:6 gegen Spanien wertet Rekordtorwart... mehr...
dpa Levallois. Den Basketballern von ratiopharm Ulm ist es nicht gelungen, die wettbewerbsübergreifende Serie von vier Siegen nacheinander fortzusetzen... mehr...
dpa Gudme. Die Rhein-Neckar Löwen sind erfolgreich in die Gruppenphase der European League gestartet. Der Handball-Bundesligist gewann am Dienstag... mehr...
dpa Istanbul. Unter Vermittlung Russlands hatten sich die verfeindeten Nachbarn Armenien und Aserbaidschan vergangene Woche auf eine Waffenruhe... mehr...
BACKNANG. mehr...
dpa Braunschweig. Die deutsche U21-Nationalmannschaft qualifiziert sich als Gruppensieger für die EM im kommenden Jahr. Beim 2:1 gegen Wales macht... mehr...
dpa Sevilla. Die deutsche Fußball-Nationalmannschaft kann mit Abwehrchef Niklas Süle am Abend in Sevilla gegen Spanien um den Gruppensieg in der... mehr...
dpa Potsdam. Bekannt wurde er für Rezepte ohne Milch und Ei. Im Zuge der Corona-Krise schlägt der Vegan-Koch Attila Hildmann jedoch ganz andere... mehr...
dpa Köln. Plötzlich fällt ein tonnenschweres Betonteil auf die A3 bei Köln. Es stürzt auf ein Auto, die Fahrerin stirbt. Die Behörde spricht... mehr...
BACKNANG. mehr...
BACKNANG. mehr...
BURGSTETTEN. mehr...
dpa/lsw Esslingen. Eine Fußgängerin ist in Esslingen zwischen einem Lastwagen und einer Mauer eingeklemmt und schwer verletzt worden. Der Lastwagen war... mehr...
dpa/lsw Stuttgart. In Baden-Württemberg sind innerhalb eines Tages nach Angaben aus dem Landesgesundheitsamt 2135 neue Corona-Infektionen registriert... mehr...
dpa Dortmund. Fußball-Profi Erling Haaland muss nicht in Quarantäne. mehr...
dpa/lsw Stuttgart. In Krankenhäusern im Südwesten werden aktuell über 1000 nicht dringend notwendige Operationen wegen der Corona-Pandemie verschoben... mehr...
„Eine Lizenz habe ich für nächstes Jahr zwar noch einmal beantragt, ich weiß aber nicht, ob es bei mir weitergeht.“ Ein Satz, den... mehr...
dpa/lsw Bad Saulgau. Ein 52 Jahre alter Lastwagenfahrer ist nach einem Arbeitsunfall in Bad Saulgau (Kreis Sigmaringen) gestorben. Wie die Polizei mitteilte,... mehr...
dpa Schwerin. Mecklenburg-Vorpommerns Innenminister stürzt über den Kauf einer Pistole Anfang 2018. Er hatte sie bei einem Waffenhändler gekauft,... mehr...
dpa/lsw Stuttgart. Seit Jahren wird immer wieder über ein lokales Verbot von Feuerwerk - etwa wegen der Brand- und Unfallgefahr - gestritten. Nun könnte... mehr...
dpa Karlsruhe. Eine Musterklage sollte Autobesitzern den Weg ebnen, mit einem Trick ihren alten Diesel loszuwerden - das ist nun aber endgültig... mehr...
dpa/lsw Karlsruhe. Nach dem Vergleich einer Elfjährigen ihres Geburtstags unter coronabedingten Einschränkungen mit der Lage des jüdischen Mädchens... mehr...
dpa Essen. Da bundesweit die Restaurants und Konzerthallen zu haben, kann man sein Geld für andere Sachen ausgeben. Einzelhändler wittern ihre... mehr...
dpa London. Es ist wieder alles drin für das deutsche Doppel bei den ATP Finals. Vor allem die Tatsache, dass die beiden French-Open-Sieger in... mehr...
dpa/lsw Ketsch. Ohne Kühlung und Sicherung hat ein 27-jähriger Mann im Rhein-Neckar-Kreis 100 Kilogramm Lammfleisch transportiert. Das Fleisch und... mehr...
dpa/lsw Stuttgart. Der VfB Stuttgart wird seine eigentlich für dieses Jahr geplante Mitgliederversammlung am 18. März 2021 (19.00 Uhr) nachholen. Sie... mehr...
dpa/lsw Mannheim. Ein Mann ist wegen unerlaubten Geldtransfers im sogenannten Hawala-System zu einer Haftstrafe von zwei Jahren und neun Monaten verurteilt... mehr...
dpa/lsw Stuttgart. Wer sich mit dem Coronavirus infiziert hat, soll sich in Baden-Württemberg künftig selbst in Quarantäne schicken. Das Gesundheitsministerium... mehr...
dpa Wien. Das öffentliche Leben läuft in Österreich auf Sparflamme: seit Dienstag gilt ein Lockdown, Häuser und Wohnungen dürfen nur aus gutem... mehr...
dpa New York/San Francisco. An den Finanzmärkten wurde der Börsengang von Airbnb lange als spektakulärste US-Premiere 2020 gehandelt, dann kam die Corona-Krise... mehr...
dpa/lsw Singen am Hohentwiel. Im Rahmen einer bundesweiten Schwerpunktprüfung von Betrieben und Beschäftigten der Abfallwirtschaft sind 25 Betriebe im Bezirk des... mehr...
dpa Stuttgart. Der Autokonzern Daimler baut die Zusammenarbeit mit seinem chinesischen Großaktionär Geely aus. Beide Unternehmen planen nach Daimler-Angaben... mehr...
dpa Stuttgart. Daimler will bei der Motorenentwicklung viel Geld sparen und baut deshlab die Kooperation mit dem chinesischen Partner Geely aus... mehr...
dpa Freiburg. In dem neuen Prozess um den jahrelangen Missbrauch eines Jungen aus Staufen bei Freiburg hat die Staatsanwaltschaft in ihrem Plädoyer... mehr...
dpa/lsw Stuttgart. Aufgrund der Coronapandemie könnten die Preise für Weihnachtsbäume in diesem Jahr stärker als üblich steigen. Als Grund nannte das... mehr...
dpa Heidelberg. Im Verfahren um den Vorwurf der sexuellen Übergriffe durch Boxtrainer in Baden-Württemberg haben Kriminalpolizei und Staatsanwaltschaft... mehr...
dpa/lsw Kehl. Weil er im Streit mit seiner Partnerin in der gemeinsamen Wohnung mit einem Luftgewehr geschossen hat, ist ein Mann in Kehl (Ortenaukreis)... mehr...
dpa/lsw Stuttgart. Mitte Dezember beginnt die Tarifrunde für die Metall- und Elektroindustrie im Südwesten. Für die IG Metall und auch für die Arbeitgeber... mehr...
dpa/lsw Bochum/Aalen. Mit einer großangelegten Razzia in mehreren Städten, darunter Stuttgart und Aalen, ist der Polizei Bochum ein Schlag gegen großangelegten... mehr...
dpa Berlin. Unter US-Präsident Trump ist das transatlantische Verhältnis schwer unter die Räder gekommen. Nach dem bevorstehenden Machtwechsel... mehr...
dpa Berlin. Gerade in Corona-Zeiten scheuen viele Patienten den Weg zum Arzt, weil sie sich nicht im Wartezimmer anstecken wollen. Deshalb kann... mehr...
dpa München. Am Anfang stand der Glascontainer. Inzwischen sollen die Bundesbürger vielerorts Hausmüll, Papier, Plastik, Biomüll und Blech getrennt... mehr...
dpa Luton. Corona-Krise und das Ende der Brexit-Übergangsphase: Die britische Airline Easyjet steht auch in den kommenden Monaten vor großen... mehr...
dpa Bochum. Mit neun vollstreckten Haftbefehlen und einer großangelegten Razzia in mehreren Bundesländern ist der Polizei Bochum ein Schlag gegen... mehr...
dpa Frankfurt/Main. Kein Anstehen mehr beim Einchecken - Lufthansa und Swiss wollen ihre Passagiere künftig am Gesicht erkennen. Das biometrische Kameraauge... mehr...
dpa Luzern. Vor und nach dem Nations-League-Spiel gegen Deutschland hat es bei der Ukraine positive Corona-Tests gegeben. Ein Schweizer Amtsarzt... mehr...
dpa Luton. Die Corona-Krise trifft Fluggesellschaften wie Easyjet besonders hart und die Aussichten für die kommenden Monate sind auch nicht... mehr...
dpa Berlin. In Kitas und Schulen lernen Kinder auch soziale Kompetenz. Deshalb können sich durchgreifende Anti-Corona-Maßnahmen in diesem Bereich... mehr...
dpa Bonn. Sie sind ein großer knallgelber Bestandteil von Parkplätzen oder Bahnstationen: Tausende Packstationen der Deutschen Post DHL stehen... mehr...
dpa/lsw Tübingen. Das biopharmazeutische Unternehmen Curevac in Tübingen will sein europäisches Netzwerk ausbauen, um größere Mengen seines Impfstoffkandidaten... mehr...
dpa Stuttgart. Ministerpräsident Winfried Kretschmann hat vor einer zunehmenden Radikalisierung der „Querdenken“-Bewegung gewarnt. Es gebe Anzeichen... mehr...
dpa/lsw Stuttgart. Das baden-württembergische Landeskriminalamt (LKA) begrüßt den geplanten Aufbau einer Cybersicherheitsagentur im Südwesten. Mit seiner... mehr...
dpa/lsw Stuttgart. Ohne ausreichende Sicherung, aber mit einer im Kofferraum liegenden Beifahrerin hat ein Autofahrer in Stuttgart einen Fernseher transportiert... mehr...
dpa/lsw Stuttgart. Baden-Württembergs Wirtschaftsministerin Nicole Hoffmeister-Kraut (CDU) warnt vor einer Überforderung der Autoindustrie durch kurzfristige... mehr...
dpa/lsw Stuttgart. Nach der starken Kritik der Opposition am Krisenmanagement von Sozialminister Manne Lucha hat Ministerpräsident Winfried Kretschmann... mehr...
dpa Berlin. An diesem Mittwoch wird in Bundestag und Bundesrat über weitere Änderungen am Infektionsschutzgesetz abgestimmt. Es geht dabei um... mehr...
dpa/lsw Rheinfelden. In einem Heim für Menschen mit Behinderungen in Rheinfelden (Kreis Lörrach) sind 38 Personen positiv auf das Coronavirus getestet... mehr...
dpa/lsw Rheinfelden. In einem Heim für Menschen mit Behinderungen in Rheinfelden (Kreis Lörrach) sind 38 Personen positiv auf das Coronavirus getestet... mehr...
dpa Weil am Rhein. 17 Jahre nach seiner mutmaßlichen Straftat ist ein international gesuchter Mann bei einem Spaziergang über die deutsche Grenze gefasst... mehr...
dpa/lsw Mannheim. Sektflaschen verbindet man gemeinhin mit Feiern und Freude. Doch sie können auch zum Mordwerkzeug werden. mehr...
dpa Neuss. Erst sollte die Deutsche Eishockey Liga Mitte September, dann Mitte November starten. Nun soll endgültig entschieden werden. Die... mehr...
dpa/lby Weißenhorn. Seit einigen Jahren sorgen 3D-Drucker bei vielen Unternehmen für neue Produktionsmöglichkeiten. Sogar ganze Gebäude kommen aus dem... mehr...
dpa Berlin. Die TV-Quoten sinken, Fußballfans wollen höchstens Highlights sehen. In Pandemie-Zeiten stößt die Austragung von zweitrangigen Länderspielen... mehr...
dpa Augsburg/Ulm. Nach der Debatte um eine möglicherweise rassistische Darstellung von Krippenfiguren sieht der Verband Bayerischer Krippenfreunde... mehr...
dpa Glasgow. Steven Gerrard wurde als Spieler zur Liverpool-Legende und glänzt bei seiner ersten Trainer-Station in Glasgow. Viele sehen in ihm... mehr...
dpa Frankfurt/Main. Der Dax hat am Dienstag nach einem schwankungsreichen Handel kaum verändert geschlossen. Mit minus 0,04 Prozent auf 13 133,47 Punkte... mehr...
dpa New York. Als LaMelo Ball geboren wurde, hatte sein Vater bereits einen Plan für seinen jüngsten Sohn - so wie für dessen zwei Brüder auch... mehr...
dpa/lsw Karlsruhe. Dass eine Elfjährige ihren Geburtstag unter coronabedingten Einschränkungen auf einer „Querdenken“-Demonstration mit der Lage des... mehr...
dpa/lsw Mannheim. Mehrere Tage nach der Verwüstung eines Gebäudes im Mannheimer Luisenpark tappt die Polizei noch im Dunkeln. Die Spurensicherung habe... mehr...
dpa Stuttgart. Der Chef des weltgrößten Autozulieferers Bosch, Volkmar Denner, hält die jüngsten EU-Pläne für schärfere Abgaswerte für den falschen... mehr...
dpa/lsw Eberbach. Ein 25-Jähriger und ein 50 Jahre alter Mann sitzen wegen des Verdachts auf gefährliche Körperverletzung in Untersuchungshaft. Wie... mehr...
BACKNANG/FELLBACH mehr...
dpa/lsw Stuttgart. Ein Unbekannter hat in Stuttgart einen Linienbus überfallen und mehrere Hundert Euro geraubt. Wie eine Sprecherin der Polizei am Dienstag... mehr...
dpa Aschheim/München. Vom Skandalkonzern Wirecard wird nicht viel bleiben - außer Schulden. Der Insolvenzverwalter verkauft die verwertbaren Teile, der... mehr...
dpa/lsw Karlsruhe. Bei einem Feuer in einem Mehrfamilienhaus in Karlsruhe sind vier Menschen verletzt worden. Mehrere übereinanderliegende Balkone hatten... mehr...
dpa/lsw Stuttgart. Seit Jahrzehnten nehmen die Streuobstbestände in Baden-Württemberg immer weiter ab. In einer Studie der Universität Hohenheim wurden... mehr...
dpa Berlin/Dresden. Die Razzia ist fast so aufsehenerregend wie der Diebstahl: Mehr als 1600 Polizisten suchen in Berlin nach Verdächtigen und Kunstschätzen... mehr...
dpa London. Eigentlich stimmte die Form von Alexander Zverev vor den ATP Finals. Zwei Titel, eine Finalteilnahme - Zverev war in guter Verfassung... mehr...
dpa Montevideo. Uruguays Stürmerstar Luis Suárez und Torhüter Rodrigo Muñoz sind positiv auf das Coronavirus getestet worden. mehr...
dpa Managua/Tegucigalpa. Zum zweiten Mal im November zieht ein gefährlicher Hurrikan über Nicaragua hinweg. „Iota“ verliert dort zwar an Stärke, doch große... mehr...
dpa Genf. Die Zahl klimabedingter Naturkatastrophen steigt - aber die gefährdetsten Länder bekommen viel zu wenig Hilfe, um die Menschen zu... mehr...
dpa Magdeburg. Auf den letzten Metern der Beweisaufnahme kommt das Verfahren um den Anschlag in Halle durch zahlreiche Anträge ins Stocken. Zuvor... mehr...
dpa New Orleans. Die New Orleans Saints müssen mehrere Wochen auf ihren Quarterback Drew Brees verzichten. Unter Berufung auf anonyme Quellen berichtete... mehr...
dpa Stuttgart. Der ehemalige Weltmeister-Trainer Heiner Brand hält eine pauschale Ablehnung der Handball-WM im kommenden Januar in Ägypten für ... mehr...
dpa/lsw Stuttgart. 24 Bahnhöfe im Südwesten sollen noch bis Ende des Jahres mit Geld aus einem Handwerks-Konjunkturprogramm des Bundes verschönert werden... mehr...
dpa/lsw Karlsruhe. Geschäftsführer Michael Becker vom Fußball-Zweitligisten Karlsruher SC erwartet angesichts der aktuellen Pandemielage in dieser Saison... mehr...
dpa/lsw Karlsruhe. Die Suche nach medizinischem Personal wird für Hausärzte zunehmend zum Problem. „In der letzten Zeit hören wir aus den Praxen, dass... mehr...
dpa Berlin. Es gibt immer mehr Anzeichen dafür, dass die Zahl täglicher Neuinfektionen demnächst wieder merklich sinken könnte. Wird es damit... mehr...
dpa/lsw Singen am Hohentwiel. Das denkmalgeschützte Veranstaltungsgebäude Scheffelhalle ist in Singen am Hohentwiel vollständig abgebrannt. Die fast 100 Jahre... mehr...
dpa Gütersloh. Rund 3,8 Millionen Frauen in Deutschland haben einen Minijob. Warum es sich für viele von ihnen nicht lohnt, mehr zu arbeiten, rechnet... mehr...
dpa Berlin. Den einen reichen die neuen Corona-Vereinbarungen nicht. Andere fürchten um die Demokratie, wenn das Infektionsschutzgesetz geändert... mehr...
dpa Wien. Das öffentliche Leben in Österreich fährt wieder auf Minimalbetrieb herunter. Wie im Frühjahr ist in dem Nachbarland ein harter Lockdown... mehr...
dpa/lsw Birkenfeld. Bei einem Verkehrsunfall in Birkenfeld (Enzkreis) ist ein Fußgänger am Montagabend schwer verletzt worden. Der 52-Jährige sei beim... mehr...
dpa Mönchengladbach. Ein kleines Mädchen wird nach dem Mittagsschlaf in der Kita nicht mehr wach. Später stirbt es im Krankenhaus. Auf die Erzieherin... mehr...
dpa Sevilla. Manuel Neuer hat seinen 96. Einsatz im DFB-Tor als „Endspiel“ deklariert - wenn auch nicht für sich persönlich. Es soll für ein sportliches... mehr...
dpa Wilmington. Die Corona-Krise eskaliert in den USA. Der gewählte Präsident Biden will die Pandemie ab seinem Amtsantritt rasch eindämmen. Doch... mehr...
dpa Berlin. Die gebeutelte Autobranche ist erneut - per Videoschalte - zu Gast im Kanzleramt. Es geht darum, Jobs zu retten, aber auch den Klimaschutz... mehr...
dpa Lima. Nach turbulenten Tagen zeichnet sich ein Ende des Machtvakuums in Lima ab. Der Kongress bestimmt einen neuen Parlamentspräsidenten,... mehr...
dpa/lsw Stuttgart. Mitte Dezember soll die Tarifrunde Metall und Elektro starten. Dass die Südwest-Schlüsselbranche auf die Corona-Pandemie reagieren... mehr...
dpa Washington. Seinen Wählern hatte Trump versprochen, einen Schlusspunkt hinter die „endlosen Kriege“ zu setzen. Das hat er in seiner Amtszeit... mehr...
dpa/lsw Stuttgart. Baden-Württemberg als Urlaubsland, das war einmal. Das Coronavirus hat der rekordverwöhnten Branche einen Tiefschlag versetzt. Um... mehr...
dpa London. Den Start in die ATP Finals hatte sich Alexander Zverev ganz anders vorgestellt. Doch gegen Daniil Medwedew zeigte die deutsche Nummer... mehr...
dpa Phoenix. Die Phoenix Suns haben sich Medienberichten zufolge für die kommende Saison die Dienste von NBA-All-Star Chris Paul in einem Tauschgeschäft... mehr...
dpa Freiburg. Auch der zweite Corona-Test von Mittelfeldspieler Changhoon Kwon vom SC Freiburg ist positiv ausgefallen. Das teilte der badische... mehr...
dpa Laupheim. Als Reaktion auf die Corona-Krise will der Airbus-Zulieferer Diehl Aviation bis 2022 in Deutschland 1400 Stellen abbauen. Das teilte... mehr...
WINTERBACH. mehr...
dpa Berlin. Zwei Wochen nach Beginn des Teil-Lockdowns haben Bundeskanzlerin Merkel und die Ministerpräsidenten über das weitere Vorgehen beraten... mehr...
dpa/lsw Stuttgart. Die baden-württembergischen Corona-Regeln bleiben zwar erstmal wie sie sind - doch warnt Ministerpräsident Kretschmann vor neuen... mehr...
dpa Berlin. Wie erwartet gibt es für den Sport vorerst keine Lockerungen der Ende Oktober verschärften Corona-Regeln. mehr...
dpa/lsw Mannheim/Stuttgart. Gleich zwei Alten- und Pflegeheime in Mannheim haben mit Corona-Ausbrüchen zu kämpfen. Acht Menschen sterben. Landesweit steigt die... mehr...
BACKNANG. mehr...
WINNENDEN/STUTTGART. mehr...
BACKNANG. mehr...
BACKNANG. mehr...
„Da wird immer Solidarität gefordert, doch wenn’s drauf ankommt, steht sich jeder selbst am Nächsten.“ Ein Satz, den TSG-Vorstandsmitglied... mehr...
dpa/lsw Stuttgart. In Baden-Württemberg sind innerhalb eines Tages nach Angaben aus dem Landesgesundheitsamt 1739 neue Corona-Infektionen registriert... mehr...
dpa/lsw Aalen. Ein Senior aus Aalen ist von falschen Polizisten um eine hohe Geldsumme betrogen worden - und hat im Anschluss die echte Polizei mit... mehr...
dpa Brüssel. Ungarn und Polen machen ihre Drohungen wahr und blockieren das 1,8 Billionen Euro schwere EU-Finanzpaket für die kommenden Jahre... mehr...
dpa/lsw Bad Waldsee. In einer Wohnung in Bad Waldsee (Kreis Ravensburg) ist der Akku eines Pedelecs explodiert. Ein 38 Jahre alter Bewohner und seine 41-jährige... mehr...
dpa Berlin/Ehningen. Das IT-Unternehmen IBM soll die technische Plattform für die anstehende Einführung von E-Rezepten in Deutschland bauen. Die vom Bundesgesundheitsministerium... mehr...
dpa/lsw Karlsruhe. Ein 49 Jahre alter Fußgänger ist in Karlsruhe angefahren und tödlich verletzt worden. Wie die Polizei am Montag mitteilte, wollte... mehr...
dpa Miami. Mit 260 Kilometern in der Stunde bewegt sich Hurrikan „Iota“ auf die Küste von Honduras und Nicaragua zu. Und wird als höchst gefährlich... mehr...
dpa Braunschweig. Das mysteriöse Verschwinden der kleinen Maddie schlägt seit dem Sommer hohe Wellen. Neue Aspekte drehen sich seitdem aber häufig... mehr...
dpa/lsw Mosbach. Die Polizei im Neckar-Odenwald-Kreis hat drei mutmaßliche Drogendealer festgenommen. Die Männer im Alter von 21, 26 und 43 Jahren... mehr...
dpa/lsw Karlsruhe. Der Karlsruher SC hat in knapp einem Monat Aktien im Wert von rund 500 000 Euro verkauft. Rund 1300 Aktionäre hätten sich bislang... mehr...
dpa/lsw Heidelberg. Die Stadt Heidelberg gehört mit Berlin nach dem Ranking der Nichtregierungsorganisation CDP zu den umweltfreundlichsten Städten der... mehr...
dpa London. Der Weltranglisten-Erste Novak Djokovic ist mit einem lockeren Auftaktsieg in die ATP Finals gestartet. Der 33 Jahre alte Serbe setzte... mehr...
dpa Brüssel. Die EU-Kommission hat mit der Tübinger Firma Curevac einen Vertrag über den Kauf von bis zu 405 Millionen Dosen Corona-Impfstoff... mehr...
dpa/lsw Crailsheim. Das erste Heimspiel der Hakro Merlins Crailsheim in der neuen Saison der Basketball-Bundesliga gegen Brose Bamberg ist vom 20. auf... mehr...
dpa Wolfsburg. Von einem „Übergangsjahr“ ist gerade in vielen Unternehmen die Rede, wenn der Blick auf 2021 fällt. Die Corona-Probleme dürften auch... mehr...
dpa Berlin. Die gebeutelte Autobranche ist erneut - per Videoschalte - zu Gast im Kanzleramt. Es geht darum, Jobs zu retten, aber auch den Klimaschutz... mehr...
dpa Zuzenhausen. Die TSG 1899 Hoffenheim ist der derzeitige Corona-Hotspot der Bundesliga. In der „absoluten Ausnahmesituation“, so Manager Rosen,... mehr...
dpa Zuzenhausen. Die TSG 1899 Hoffenheim ist der derzeitige Corona-Hotspot der Bundesliga. In der „absoluten Ausnahmesituation“, so Manager Rosen,... mehr...
dpa Dortmund. Darf er spielen oder nicht? Der Corona-Fall in der norwegischen Nationalmannschaft um BVB-Star Erling Haaland dürfte die Bereitschaft... mehr...
dpa/lsw Stuttgart. Die Corona-Krise lässt auch in Baden-Württemberg die Steuereinnahmen ordentlich einbrechen. Aber es gibt Licht am Ende des Tunnels:... mehr...
dpa/lsw Mannheim. Mit Schlägen und Tritten gegen Polizeibeamte ist in Mannheim eine illegale Party zu Ende gegangen. Nach einer Beschwerde von Zeugen... mehr...
dpa Paris. Zwischen Berlin und Paris lief es zuletzt weitgehend harmonisch: Staatschef Macron und Kanzlerin Merkel zogen in der EU an einem... mehr...
dpa Berlin. Weihnachtsmärkte sind für Innenstädte Publikumsmagnete. Auf diese Hilfe fürs wichtige Weihnachtsgeschäft muss der Handel in diesem... mehr...
dpa Stuttgart. Für einen geplanten TV-Jahresrückblick ist Entertainer Thomas Gottschalk in einen Old-Shatterhand-Look geschlüpft. Sänger Alexander... mehr...
dpa Bonn/Neckarsulm. Die Pläne des Großflächen-Discounters Kaufland zur Übernahme von bis zu 101 Filialen des Wettbewerbers Real stoßen beim Bundeskartellamt... mehr...
dpa Bonn. Kaufland will zahlreiche Filialen seines Konkurrenten Real übernehmen. Die Pläne könnten allerdings den regionalen Wettbewerb empfindlich... mehr...
dpa Zuzenhausen. Die TSG 1899 Hoffenheim darf auf die planmäßige Durchführung des Bundesliga-Spiels am Samstag gegen den VfB Stuttgart hoffen. „Im... mehr...
dpa Cambridge. Erst elektrisiert der Mainzer Impfstoff-Hersteller Biontech die von der Corona-Pandemie geplagte Welt. Nun legt der US-Konzern Moderna... mehr...
dpa Berlin. Der Handel zwischen den USA und China war nie so frostig wie heute. Nun hat China mit 14 anderen asiatisch-pazifische Staaten das... mehr...
dpa/lsw Sindelfingen. Polizisten haben in einem Kellerraum in Sindelfingen durch Zufall eine größere Menge Sprengstoff gefunden. Eigentlich war die Wohnung... mehr...
dpa/lsw Stuttgart. Tausende Verstöße allein am vergangenen Wochenende, sogar mehr als 26 000 Regelbrüche seit Beginn des Teil-Lockdowns vor zwei Wochen:... mehr...
dpa Brüssel. Das Ringen um einen Handelspakt zwischen Großbritannien und EU geht erneut in die Verlängerung. Noch immer könne alles scheitern,... mehr...
dpa Las Palmas. Sie sind in offenen Holzbooten über das Meer geflohen. Allein am vergangenen Wochenende sind 1275 weitere Migranten auf den Kanarischen... mehr...
dpa Frankfurt/Main. Klimawandel, Digitalisierung, Corona-Schulden - die europäische Finanzbranche steht vor gewaltigen Herausforderungen. Im internationalen... mehr...
dpa Istanbul. In der Formel 1 droht auch 2021 Langeweile. Dauersieger Lewis Hamilton kann im Mercedes zum achten Titel rasen. Doch dank eines neuen... mehr...
dpa Frankfurt/Main. Seit Anfang Juli gelten niedrigere Mehrwertsteuersätze. Damit will die Bundesregierung den Konsum in der Corona-Krise ankurbeln... mehr...
dpa/lsw Stuttgart. Die strenge Maskenpflicht im Rems-Murr-Kreis ist bis auf weiteres nicht gültig. Das teilte das Verwaltungsgericht Stuttgart am Montag... mehr...
dpa Kabul. Trotz Aussicht auf einen Ausbildungsvertrag und guter Deutsch-Kenntnisse wurde der 23-Jährige Afghane Sardar Dschafari in sein Heimatland... mehr...
dpa Düsseldorf. Pappkarton-Look statt Plastik? Das ist nicht immer die umweltfreundlichere Variante, warnt die Verbraucherzentrale. mehr...
dpa Peking. In China wurden vor einem Jahr erste Infektionen mit dem Coronavirus entdeckt. Nach drastischen Maßnahmen zur Eindämmung gilt das... mehr...
dpa/lsw Göppingen. Nach einer Messerattacke in Göppingen ist ein 39-Jähriger in Untersuchungshaft gekommen. Gegen ihn wird wegen versuchten Totschlags... mehr...
dpa/lsw Stuttgart. Damit die Infektionszahlen sinken, gelten strenge Auflagen. Die meisten Kultureinrichtungen bleiben geschlossen. Bibliotheken dürfen... mehr...
dpa Yakutat. Bei der Landung eines Passagierflugzeugs im US-Bundesstaat Alaska ist es zu einer Kollision mit einem Braunbären gekommen. Das Tier,... mehr...
dpa München/Frankfurt. Für die Mobilitätswende erklärt die Bundesregierung hoch gesteckte Ziele. Ob die realistisch sind, daran zweifeln Marktbeobachter... mehr...
WAIBLINGEN mehr...
dpa Seoul. Seit Monaten ist die Zukunft der Fluggesellschaft Asiana Airlines ungewiss. Eine Übernahme war wegen der Folgen der Corona-Pandemie... mehr...
dpa/lsw Eimeldingen. Sein nervöses Verhalten bei einer Kontrolle im Zug und eine Beule im Rucksack haben ihn verraten: Weil er jede Menge halluzinogene... mehr...
dpa Berlin. Die Feiertage sind traditionell ein Kick-Starter für die Influenza-Ausbreitung. Menschen reisen durchs gesamte Bundesgebiet, treffen... mehr...
dpa Wiesbaden. Im September ist die Beschäftigung in der Industrie erstmals in diesem Jahr gestiegen. Mit dem Teil-Lockdown trüben sich die Aussichten... mehr...
dpa London. Eigentlich will das Mainzer Pharmaunternehmen den Kampf gegen den Krebs revolutionieren. Doch dann kommt die Corona-Krise. Und Biontech... mehr...
dpa/lsw Stuttgart. Fünf Millionen Corona-Schnelltests hat das Land als Notreserve geordert. Das löst bei der Opposition Kritik aus, sie hat Fragen an... mehr...
dpa/lsw Stuttgart. Statt eine neue Cybersicherheitsagentur aufzubauen sollte das Land aus Sicht der Deutschen Polizeigewerkschaft lieber bestehende... mehr...
dpa Tokio. Die durch die Corona-Pandemie schwer gebeutelte asiatische Wirtschaftsmacht verzeichnet erstmals nach drei Quartalen wieder ein Wachstum... mehr...
dpa Berlin. Hohe Flammen schlagen aus einem U-Bahnhof, dichter Rauch liegt in der Luft: Ein Großaufgebot der Berliner Feuerwehr ist bei einem... mehr...
dpa Frankfurt/Main. Als Verteidiger des Hauptangeklagten im Mordfall Lübcke musste der Rechtsanwalt Frank Hannig gehen. Seine Erkenntnisse in dem Fall... mehr...
dpa Los Angeles. Dennis Schröder steht vor dem nächsten großen Schritt auf der Karriereleiter. Von den Oklahoma City Thunder geht es für Deutschlands... mehr...
dpa/lsw Rottweil. Sie soll ihren dreijährigen Sohn versucht haben umzubringen: Einer 36-Jährigen wird ab Donnerstag am Landgericht Rottweil der Prozess... mehr...
dpa Cape Canaveral. Bei der Nasa und bei SpaceX knallen die Sektkorken. Jetzt sollen Flüge ins All aus den USA wieder zur Normalität werden. Zwei Präsidenten... mehr...
dpa London. Viele britsche Unternehmen ringen derzeit mit den Folgen der Corona-Krise - und nun steht zum Jahresende auch noch der EU-Austritt... mehr...
dpa Glendale. Die NFL-Saison ist gerade erst zur Hälfte rum - DeAndre Hopkins aber hat schon jetzt einen Platz in jedem Rückblick sicher. mehr...
dpa München. Corona trifft nahezu alle Branchen, auch die deutschen Automobilzulieferer bleiben nicht verschont. In diesem Jahr verdienen sie... mehr...
dpa Tokio. Thomas Bach wirbt ungeachtet der weiter grassierenden Corona-Pandemie kräftig für die Olympischen Spiele kommendes Jahr in Japan... mehr...
dpa/lsw Stuttgart. Die Woche in Baden-Württemberg startet überwiegend windig und bewölkt. Im Laufe des Tages wird es nach Angaben des Deutschen Wetterdienstes... mehr...
dpa/lsw Karlsruhe/Stuttgart. Zwar ruht in den Bädern gerade meist wegen der Corona-Pandemie das Wasser, doch das Thema Straftaten bleibt aktuell. Jährlich zählen... mehr...
dpa/lsw Stuttgart. Die Bibliotheken im Südwesten haben trotz zahlreicher Einschränkungen durch die Corona-Verordnung geöffnet. Anders als Museen oder... mehr...
dpa/lsw Mannheim/Düsseldorf. Ein historischer Schaufelraddampfer ist zum Objekt der Begierde in Mannheim und Düsseldorf geworden. Das sanierungsbedürftige Schiff,... mehr...
dpa Frankfurt. Der Frankfurter Fußball-Profi David Abraham hat wegen seines Remplers gegen Freiburgs Trainer Christian Streich vor einem Jahr nach... mehr...
dpa Berlin. Wie meist am Montag ist die Zahl gemeldeter Neuinfektionen in Deutschland vergleichsweise niedrig. In dieser Woche sollten sich Auswirkungen... mehr...
dpa Washington. Präsident Trump verschärft seine unbelegten Betrugsvorwürfe bei der Wahl in den USA und sieht sich weiter als Sieger. Ex-Präsident... mehr...
dpa Lima. Keine Woche hat die Präsidentschaft von Manuel Merino in Peru gehalten. Die brutale Reaktion der Polizei auf Proteste gegen ihn führt... mehr...
dpa Ketsch. Bei einem Überholmanöver auf der Autobahn 6 bei Ketsch ist ein Motorradfahrer tödlich verunglückt. Der 24-Jährige kollidierte am Sonntagnachmittag... mehr...
dpa/lsw Karlsruhe. Bei einem Verkehrsunfall in Karlsruhe ist ein Fußgänger tödlich verletzt worden. Der Mann sei am Sonntagabend von einem Auto erfasst... mehr...
dpa/lsw Stuttgart. Der neue Ansager der Deutschen Bahn, Heiko Grauel, ist nun auch in Baden-Württemberg zu hören. Der professionelle Sprecher aus dem... mehr...
dpa Frankfurt/Main. Der frühere Speerwurf-Weltmeister Johannes Vetter fürchtet bei einer Absage der auf 2021 verlegten Olympischen Spiele in Tokio existenzielle... mehr...
dpa/lsw Stuttgart. Die hohen Infektionszahlen lassen aus Sicht der Bundeskanzlerin nach zwei Wochen Teil-Lockdown keine Lockerungen zu. Das sehen baden-württembergische... mehr...
dpa Frankfurt/Main. Frauen in der Vorstandsetage börsennotierter Firmen scheinen beim Gehaltspoker bessere Karten zu haben als Männer. Die Managerinnen... mehr...
dpa Berlin. Weitere Verschärfungen der Anti-Corona-Regeln gibt es nicht - noch nicht. Stattdessen den Appell, noch weniger andere Menschen zu... mehr...
dpa Sevilla. Joachim Löw mag nicht taktieren. Der Bundestrainer will Platz eins in der Nations League gegen Spanien nicht ermauern. Im DFB-Tross... mehr...
dpa Istanbul. Schon wieder ist Lewis Hamilton Weltmeister. Der Mercedes-Fahrer hat zwar noch keinen Vertrag über das Jahresende hinaus, kündigte... mehr...
dpa London. Zwei Turniersiege in Köln, der Einzug ins Finale von Paris: Die Bilanz des besten deutschen Tennisspielers Alexander Zverev in den... mehr...
dpa Minsk. Nach dem gewaltsamen Tod eines Mannes herrscht in Belarus Wut und Trauer. Viele Menschen gehen gegen Machthaber Lukaschenko auch... mehr...
dpa Frankfurt/Main. Der frühere Speerwurf-Weltmeister Johannes Vetter fürchtet bei einer Absage der auf 2021 verlegten Olympischen Spiele in Tokio existenzielle... mehr...
dpa Berlin. Reichen die Einschränkungen in Deutschland, um Krankenhäuser vor einem Corona-Kollaps zu bewahren? Vor neuen Beratungen bei der Kanzlerin... mehr...
dpa/lsw Stuttgart/Karlsruhe. Im Prozess um einen möglicherweise geplanten Anschlag auf die Eislaufbahn in Karlsruhe im Winter 2017 hat die Bundesanwaltschaft... mehr...
dpa Chisinau. Die ehemalige Sowjetrepublik Moldau hat eine neue Präsidentin. Nach dem russlandfreundlichen Staatsoberhaupt ist jetzt eine prowestliche... mehr...
dpa/lsw Stuttgart. Was tue ich, wenn mir eine Hirschkuh begegnet? Wie viele Wildschweine gibt es und wie klingt ein Auerhuhn? Daten zu Wildtieren sollen... mehr...
BACKNANG/STUTTGART mehr...
BACKNANG mehr...
SULZBACH AN DER MURR. mehr...
BACKNANG. mehr...
BACKNANG (not). Der Volkstrauertag stand dieses Jahr unter ganz besonderen Vorzeichen. Einerseits, so sagte Backnangs Erster Bürgermeisters... mehr...
WINNENDEN mehr...